Apoderiger banari
Apoderiger banari | |
---|---|
![]() | |
Scientific classification ![]() | |
Kingdom: | Animalia |
Phylum: | Arthropoda |
Class: | Insecta |
Order: | Coleoptera |
Suborder: | Polyphaga |
Infraorder: | Staphyliniformia |
Family: | Staphylinidae |
Genus: | Apoderiger |
Species: | A. banari
|
Binomial name | |
Apoderiger banari Hlaváč, 2025
|
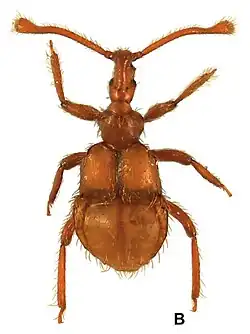
Apoderiger banari is a species of beetle of the Staphylinidae family. This species is found in Madagascar (Anjozorobe).
Adults reach a length of about 1.65–1.70 mm and have a yellowish-brown body.
Etymology
The species is named after a good friend of the author, Peter Baňař, who collected many pselaphines in Madagascar.[1]