Cenothyla consobrina
Cenothyla consobrina | |
---|---|
![]() | |
Scientific classification ![]() | |
Kingdom: | Animalia |
Phylum: | Arthropoda |
Class: | Insecta |
Order: | Coleoptera |
Suborder: | Adephaga |
Family: | Cicindelidae |
Genus: | Cenothyla |
Species: | C. consobrina
|
Binomial name | |
Cenothyla consobrina (Lucas, 1857)
| |
Synonyms | |
|
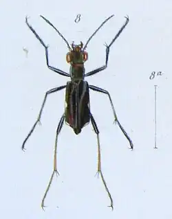
Cenothyla consobrina is a species of tiger beetle. This species is found in Ecuador and Peru.[1] The habitat consists of primary terra firma forests.
Adults are medium to large in size (11-14.7 mm), with the females usually larger than males. The dorsal surface is dark copper with brighter reddish-cupreous areas, becoming iridescent-green to blue.[2]