Hurricane Patricia
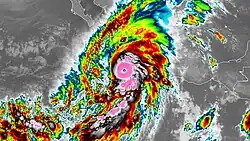
![]() Patricia shortly after its record peak intensity on October 23, while approaching Western Mexico. | |
Meteorological history | |
---|---|
Formed | October 20, 2015 |
Dissipated | October 24, 2015 |
Category 5 major hurricane | |
1-minute sustained (SSHWS/NWS) | |
Highest winds | 215 mph (345 km/h) |
Lowest pressure | 872 mbar (hPa); 25.75 inHg (Record low in Western Hemisphere; second-lowest globally) |
Overall effects | |
Fatalities | 13 total |
Damage | $484 million (2022 USD) |
Areas affected | Mexico, Texas |
IBTrACS | |
Part of the 2015 Pacific hurricane season |
Hurricane Patricia was the most powerful tropical cyclone on record worldwide in terms of maximum sustained winds and the second-most intense on record worldwide in terms of pressure, with a minimum atmospheric pressure of 872 mbar (hPa; 25.75 inHg), just behind Typhoon Tip's 870 mbar.[1] Originating from a sprawling disturbance near the Gulf of Tehuantepec, south of Mexico, in mid-October 2015, Patricia was first classified a tropical depression on October 20. Initial development was slow, with only modest strengthening within the first day of its classification. The system later became a tropical storm and was named Patricia, the twenty-fourth named storm of the 2015 Pacific hurricane season. Exceptionally favorable environmental conditions fueled explosive intensification on October 22. A well-defined eye developed within an intense central dense overcast and Patricia grew from a tropical storm to a Category 5 hurricane in just 24 hours—a near-record pace. On October 23, the hurricane achieved its record peak intensity with maximum sustained winds of 215 mph (345 km/h).[nb 1][nb 2] This made it the most intense tropical cyclone on record in the Western Hemisphere and the strongest globally in terms of one-minute maximum sustained winds, tied with Typhoon Nancy of 1961.
Late on October 23, dramatic weakening ensued and Patricia made landfall near Cuixmala, Jalisco, with winds of 150 mph (240 km/h). This still made it the strongest landfalling Pacific hurricane on record at the time, until it was surpassed by Hurricane Otis in 2023. Patricia continued to weaken extremely quickly, faster than it had intensified, as it interacted with the mountainous terrain of Mexico. Within 24 hours of moving ashore, Patricia weakened into a tropical depression and dissipated soon thereafter, late on October 24.
The precursor to Patricia produced widespread flooding rains in Central America. Hundreds of thousands of people were directly affected by the storm, mostly in Guatemala. At least six fatalities were attributed to the event: four in El Salvador, one in Guatemala, and one in Nicaragua. Torrential rains extended into southeastern Mexico, with areas of Quintana Roo and Veracruz reporting accumulations in excess of 19.7 in (500 mm). Damage in Chetumal reached MX$1.4 billion (US$85.3 million).[nb 3]
As a tropical cyclone, Patricia's effects in Mexico were tremendous; however, the affected areas were predominantly rural, lessening the number of people directly impacted. Violent winds tore roofs from structures and stripped coastal areas of their vegetation. Preliminary assessments indicated hundreds of homes to be destroyed; seven fatalities were linked to the hurricane directly or indirectly, including one during evacuations. Total damage from Patricia was estimated to be at least $462.8 million (2015 USD); the damage in Mexico alone was estimated to be in excess of MX$5.4 billion (US$325 million), with agriculture and infrastructure comprising the majority of losses. Flooding partially associated with remnant moisture from Patricia inflicted US$52.5 million in damage across Southern Texas.
Meteorological history

Tropical storm (39–73 mph, 63–118 km/h)
Category 1 (74–95 mph, 119–153 km/h)
Category 2 (96–110 mph, 154–177 km/h)
Category 3 (111–129 mph, 178–208 km/h)
Category 4 (130–156 mph, 209–251 km/h)
Category 5 (≥157 mph, ≥252 km/h)
Unknown

On October 11, 2015, an area of disturbed weather traversed Central America and emerged over the eastern Pacific Ocean. The disturbance moved slowly over the next few days, later merging with a tropical wave on October 15. The merger of these systems and the effects of a concurrent Tehuantepec gap wind event spurred the formation of a broad area of low pressure. This feature gradually consolidated and became a tropical depression shortly after 00:00 UTC on October 20; at this time the depression was situated roughly 205 mi (330 km) south-southeast of Salina Cruz, Mexico. A mid-level ridge to the north steered the depression generally west and later pulled it north along an arcing path.[1]
Development was initially slowed by locally cooler sea surface temperatures and dry air, and the depression became Tropical Storm Patricia later that day.[1] Once clear of the unfavorable region, Patricia traversed anomalously warm waters within an environment exceptionally conducive to rapid intensification.[1][2] Dramatic strengthening began late on October 21 and continued through October 23. Patricia reached hurricane strength shortly after 00:00 UTC on October 22,[1] featuring prominent outflow, well-defined banding features,[3] and a developing eye.[4] Data from hurricane hunters investigating the cyclone indicated Patricia to have reached Category 4 status on the Saffir–Simpson hurricane wind scale by 18:00 UTC.[1][5]

By the early hours of October 23, a clear northward turn took place followed by acceleration northeast.[6] A solid ring of −130 °F (−90 °C) cloud tops surrounded the hurricane's 12 mi (19 km) wide eye and signaled its intensification into a Category 5 hurricane. In a 24-hour time span, Patricia's maximum sustained winds increased by 120 mph (195 km/h), the fastest such intensification in any hurricane observed by the National Hurricane Center (NHC). The hurricane reached its peak intensity at around 12:00 UTC on October 23, with estimated winds around 215 mph (346 km/h) and a barometric pressure of 872 mbar (hPa; 25.75 inHg); these values are based upon continued intensification after a Hurricane Hunter mission into the storm six hours prior. In the NHC's report on Patricia, it is noted that the hurricane may have surpassed Typhoon Tip as the strongest tropical cyclone ever observed, but lack of direct observations at the time of its peak prevents analysis of such.[1]
Later on October 23, rapid weakening ensued as an eyewall replacement cycle took shape and wind shear increased. In the five hours up until landfall in Mexico, Patricia weakened at an unprecedented rate while still over water. However, upon moving ashore around 23:00 UTC near Cuixmala, Jalisco, it remained a strong Category 4 hurricane, with sustained winds of 150 mph (240 km/h) and an analyzed pressure of 932 mbar (hPa; 27.52 inHg). This made Patricia the most intense landfalling Pacific hurricane on record, until Hurricane Otis surpassed it in October 2023. Once onshore, the high terrain of the Sierra Madre mountains accelerated Patricia's weakening. The low- and mid-level circulations of the tropical cyclone decoupled, with the latter accelerating northeast, and Patricia dissipated on October 24 over central Mexico, less than 18 hours after moving ashore.[1]
Records

Hurricane Patricia set multiple records for maximum strength, rate of intensification, and rate of weakening throughout its relatively short existence. With maximum sustained winds of 215 mph (345 km/h) and a minimum pressure of 872 mbar (hPa; 25.75 inHg), Patricia is the most intense tropical cyclone ever observed in the Western Hemisphere. In terms of central pressure, it is also the second-most intense tropical cyclone ever recorded worldwide, just shy of Typhoon Tip in 1979 which had a minimum pressure of 870 mbar (hPa; 25.69 inHg).[1]
Patricia's one-minute maximum sustained winds ranked as the highest ever reliably observed or estimated in a tropical cyclone, surpassing Typhoon Haiyan of 2013.[7] The magnitude of Patricia's rapid intensification is among the fastest ever observed. In a 24-hour period, 06:00–06:00 UTC October 22–23, its maximum sustained winds increased from 85 mph (140 km/h) to 205 mph (335 km/h), a record increase of 120 mph (195 km/h). During the same period, Patricia's central pressure fell by 95 mbar (hPa; 2.81 inHg). Despite record over-water weakening prior to striking Mexico, Patricia became the most intense Pacific hurricane to make landfall, with a pressure of 932 mbar (hPa; 27.52 inHg),[1] until Otis surpassed this intensity with a pressure of 929 mbar (hPa; 27.43 inHg).
Preparations

Before Hurricane Patricia arrived, the Government of Mexico issued multiple watches and warnings for coastal communities. A hurricane watch was first raised at 09:00 UTC on October 21, encompassing areas of Michoacán, Colima, and Jalisco. A tropical storm watch also covered portions of Guerrero. As Patricia intensified, the government issued a hurricane warning for areas between Cabo Corrientes, Jalisco, and Punta San Telmo, Michoacán; a tropical storm warning supplemented this for areas farther north and east. The hurricane warning was extended northward to include areas south of San Blas, Nayarit, on October 23. Once the storm moved inland and the threat of damaging winds diminished, these warnings were gradually discontinued on October 24.[1]
Following Patricia's upgrade to Category 5 status, the National Hurricane Center called the storm "potentially catastrophic",[8] a source of criticism and praise from various media.[9] Citing the relatively limited damage and loss of life, some outlets, including the Associated Press,[10] claimed the agency was exaggerating the danger posed by the storm. However, most outlets praised them for effectively communicating the dire threat and potentially saving lives from an exceptionally powerful hurricane.[9][11]
Across Michoacán, Colima, Jalisco, and Nayarit, 1,782 shelters were opened on October 22 with a collective capacity of 258,000 people.[12] Officials in Manzanillo began distributing sandbags during the afternoon of October 22.[13] Schools across Guerrero and Jalisco suspended activities for October 22 and 23, respectively.[14][15] Civil protection officials planned to evacuate roughly 50,000 people from Colima, Jalisco, and Nayarit. To expedite the process, 2 aircraft and 600 buses were used to shuttle evacuees.[16] Ultimately, 8,500 people evacuated prior to the storm's arrival, including 2,600 in Cabo Corrientes.[16][17] One person died during an evacuation in Jalisco.[18] Roughly 25,000 personnel from the Mexican Army, Navy, and Federal Police were deployed preemptively.[19] More than 500 Red Cross volunteers were on standby.[20] The Mexican Red Cross prepositioned food for 3,500 families.[21]
Approximately 30,000 kg (66,000 lb) of aid was prepositioned in Colima for distribution after the hurricane's passage. The Electric Federal Commission dispatched 2,500 crewmen, 152 cranes, 15 all-terrain vehicles, 4 helicopters, and 84 generators to cope with potential power outages.[20] Mexican authorities received praise for effectively carrying out emergency preparations.[22]
Impact from precursor disturbance

The precursor of Patricia was a large and sprawling system that affected much of Central America with heavy rain for several days.[1][23] Rainfall was enhanced by the presence of multiple systems, including a tropical wave and a second disturbance over the Caribbean Sea.[1] One person was killed in the Alta Verapaz Department and approximately 2,100 people required evacuation across Guatemala.[23][24] A total of 442 homes and 28,200 ha (70,000 acres) of crops were damaged while roughly 223,000 people were affected by flooding.[25][26] Government officials deployed emergency teams and Q40 million (US$5.22 million) was available for relief operations.[25] In nearby El Salvador between 160 and 185 mm (6.3 and 7.3 in) of rain fell, causing similar floods.[27] Dozens of homes were affected and four people were killed.[27][28] The Goascorán River overflowed its banks twice in two days, inundating surrounding communities.[27] Owing to widespread flooding, authorities suspended school activities across the country on October 19.[28] In Nicaragua, a landslide buried four miners in Bonanza; one died while the others were rescued.[29] The Ulúa River in Honduras over-topped its banks for the first time in 17 years on October 18, prompting the evacuation of more than 200 people.[30][31] Furthermore, flooding damaged 10 homes in Jacó, Costa Rica.[32]
The aforementioned rains extended into Southwestern and Northeastern Mexico, falling from October 18–20; precipitation was enhanced by another tropical disturbance over the northwestern Caribbean Sea. Portions of Quintana Roo saw their most intense rainfall event on record, with 502 mm (19.8 in) observed in Chetumal. This surpassed the previous record of 450 mm (18 in) during Hurricane Wilma in 2005. Flooding affected approximately 1,500 homes in the city, with 150 people seeking refuge in public shelters.[33] Damage in Chetumal was pegged at MX$1.4 billion (US$85.3 million).[34] Seven municipalities were declared disaster areas accordingly.[35] In nearby Veracruz, more than 600 mm (24 in) of rain caused widespread flooding; at least 50 municipalities reported damage from the event as multiple rivers over-topped their banks.[36] Flooding in Tabasco affected 7,500 ha (19,000 acres) of crops.[37] In Oaxaca, several roads were washed out by the accompanying floods and mudslides, particularly in the Sierra Norte region.[38] Widespread flooding affected large areas of Chiapas and Guerrero, prompting dozens of evacuations.[39] In Tapachula, Chiapas, 168 mm (6.6 in) of rain fell in just 90 minutes, triggering flash floods that caught residents by surprise. Hundreds of families were affected and 64 homes were damaged or destroyed.[40]
Impact as a tropical cyclone
Mexico

Hurricane Patricia made landfall in Jalisco as a Category 4 hurricane during the evening of October 23. The 15 mi (24 km) wide core of Patricia largely avoided populated centers, passing through areas with a population density of less than 30 people per square mile. This, alongside effective evacuations, is credited for the relatively low death toll, despite the hurricane's intensity. Several small communities along the path sustained tremendous damage, however.[41] Had the hurricane moved farther east or west, the densely populated areas surrounding Manzanillo or Puerto Vallarta would have suffered a direct hit.[22]
Throughout the affected region, the storm's powerful winds left 261,989 people without electricity.[17][19] Twenty-one of the nation's thirty-one states, and the Federal District, were affected by the hurricane's rain.[42] Accumulations in Jalisco peaked at 383.2 mm (15.09 in) on Nevado de Colima.[43] Roughly 42,000 ha (100,000 acres) of crops were affected across Colima, Jalisco, Michoacán, and Nayarit, with 15,000 ha (37,000 acres) deemed a total loss and 27,000 ha (67,000 acres) partially damaged.[44] Six deaths occurred due to direct or indirect effects of the hurricane, all in Jalisco.[45][46] Damage assessments indicate total losses around MX$5.4 billion (US$325 million), primarily from agriculture and infrastructure.[17][47][48][49][50]
Jalisco

Striking Jalisco as a strong Category 4 hurricane, Patricia wrought tremendous damage, though the most extreme effects were relatively localized. In the small community of Emiliano Zapata, the hurricane's violent winds tore roofs off homes and business. Countless trees were defoliated, stripped of their branches, snapped, or uprooted. Hillsides along the immediate landfall area were largely stripped of vegetation. Storm chaser Josh Morgerman described the aftermath: "... the tropical landscape was transformed into something barren and wintry."[51] Furthermore, the winds toppled concrete power poles and crumpled transmission towers.[51]
A total of six deaths in incidents related to Patricia were reported in the state.[45] Two of these deaths occurred when a tree toppled over in the storm's powerful winds.[46] A woman was also hospitalized after sustaining injuries in the same incident. Another four people were killed in an automobile accident in southern Jalisco. Two of the victims died in the wreckage and the other two died after being brought to a hospital.[45][52]
Hurricane | Season | Wind speed | Ref. |
---|---|---|---|
Otis | 2023 | 160 mph (260 km/h) | [53] |
2015 | 150 mph (240 km/h) | [54] | |
Madeline | 1976 | 145 mph (230 km/h) | [55] |
Twelve | 1957 | 140 mph (220 km/h) | [56] |
"Mexico" | 1959 | [56] | |
Iniki | 1992 | [57] | |
Kenna | 2002 | [58] | |
Lidia | 2023 | [59] |
Throughout Jalisco, approximately 9,000 homes were damaged or destroyed.[60] The coastal hamlet of Chamela, home to 40 families, was completely flattened.[61] More than 24,000 ha (59,000 acres) of crops were affected across the state: 10,684 ha (26,400 acres) sustained total losses while 13,943 ha (34,450 acres) were partially so. Damage from agriculture amounted to roughly MX$168 million (US$10.1 million).[62] Total damage reached to MX$1.139 billion (US$68.6 million).[47] A cargo ship—the 735 ft (224 m) bulk carrier Los Llanitos[63]—was shifted off-course by the hurricane and grounded near Barra de Navidad, Jalisco. Her 27 crew were unharmed but required rescue by a military helicopter.[64] The ship was subsequently deemed a total loss and crews began scrapping the vessel on-site in February 2016.[65]
Colima and Michoacán

In nearby Colima, preliminary surveys indicated localized but severe damage. A total of 200 schools, 107 health facilities, 34 sport facilities, and 11,645 ha (28,780 acres) of agriculture were affected by the storm.[66] Severe damage was incurred by the banana crops, with losses from the fruit alone estimated at MX$500 million (US$30.1 million).[17] Total damage in the state reached MX$1.7 billion (US$102.5 million).[48]
Although Patricia made landfall farther west, damage across Michoacán was severe. Numerous communities were temporarily isolated as roads were either rendered impassible or washed away altogether by floods.[67] A total of 1,512 homes were damaged and another 127 were destroyed across the state,[68] including 600 in Coahuayana.[69] The storm severely damaged 150 homes in the Arteaga Municipality. A portion of Highway 200 was shut down in Aquila.[67] Agriculture sustained extensive damage with 10,000 ha (25,000 acres) of crops destroyed; losses in the sector amounted to MX$2.5 billion (US$150.7 million). In Coahuayana alone, 5,600 ha (14,000 acres) of bananas were ruined, the greatest loss of crops in the municipality's history;[49] thousands of residents lost their jobs as a result of the damage.[69] Losses to health facilities in the state reached MX$13.5 million (US$814,000).[50]
Other states
The hurricane produced large swells along the shores of Guerrero on October 22, causing damage to coastal structures.[70] The remnants of Patricia brought heavy rain to much of northern Mexico on October 24. Up to 193 mm (7.6 in) of rain was observed in Tamaulipas, resulting in flooding. Dozens of structures sustained damage and hundreds were left without power, with areas in Reynosa and Río Bravo particularly affected.[71]
United States
Patricia's direct effects in Texas were limited to southern areas of the state. Moisture associated with the hurricane streamed ahead of its circulation and interacted with a frontal boundary over the region.[72] Antecedent rains saturated the region and produced severe flooding, with cars flooded and a train derailed.[73] Fears arose that the collective effects of these storms would produce deadly floods, similar to those in May earlier in the year; however, no deaths resulted.[74] Houston received 9.38 in (238 mm) of rain during a 24-hour span from October 24–25,[75] and a brief tornado caused minor damage near the city.[76] Rain fell at rates of 1 to 2 in (25 to 51 mm) per hour in southern Hidalgo County, leading to damaging flash floods. An estimated 10 to 12 in (250 to 300 mm), or more, accumulated across the Progreso–Weslaco area. Several feet of water rendered roads impassible, stranded cars, and affected more than 500 homes. Twenty-six water rescues were conducted in the area. Damage was estimated at $50 million.[77] Several roads in and around Corpus Christi were inundated,[78] including part of Interstate 37.[79] Two hours of "blinding rains" flooded the majority of eastern Willacy County, prompting multiple water rescues, and leaving $2.5 million in damage.[80] Remnant moisture then moved north and northwest through the Great Lakes, Appalachia and Mid-Atlantic states, and Florida Panhandle before exiting the nation.[81][82][83][84] In Louisiana, the storm caused 1,200 customers to lose power.[85]
Aftermath
In the aftermath of the hurricane, 5,791 marines from Mexico's Naval Infantry Force were deployed to assist with recovery and rescue efforts.[86] Rescuers reached some of the hardest-hit areas within a day of Patricia's landfall.[22] Red Cross volunteers began needs assessments on October 24 and distribution of humanitarian aid started the following day.[21] Power was restored to 88 percent of those affected within two days of the storm.[19] Through the nation's livestock catastrophe fund, MX$150 million (US$9.04 million) were allocated for agricultural areas affected by the storm on October 29. Of this total, MX$76 million (US$4.58 million) were delegated to Jalisco.[87]
The Secretariat of Social Development's budget allowed for MX$250 million (US$15.1 million) in relief funds for Jalisco.[46] Of this, MX$34 million (US$2.05 million) were allocated for affected persons.[88] On October 27, Rafael Pacchiano Alamán announced an initial fund of MX$5.3 million (US$319,000) through the Temporary Employment Program (Programa de Empleo Temporal) to help spur economic recovery in Colima.[89] On October 28, 15 of Jalisco's 125 municipalities were declared disaster areas.[90] Of the more than 24,000 ha (59,000 acres) of crops affected by Patricia in Jalisco, only 6,600 ha (16,000 acres) were covered by insurance.[62] Through late January 2016, Instituto Nacional del Emprendedor provided entrepreneurs with MX$3.577 million (US$216,000) in funds.[91]
In January 2016, the Michoacán Ministry of Social Development enacted a MX$10 million (US$603,000) rehabilitation program to build 605 homes in affected communities.[92]
Retirement
Due to the hurricane's extreme intensity and the damages caused in Mexico, the name Patricia was retired by the World Meteorological Organization in April 2016. It was replaced with the name Pamela for the 2021 season.[93]
See also
- Weather of 2015
- Tropical cyclones in 2015
- List of the most intense tropical cyclones
- List of tropical cyclone records
- List of Category 5 Pacific hurricanes
- Typhoon Nancy (1961) – strongest one-minute maximum sustained winds on record prior to Patricia (tied)
- Typhoon Tip (1979) – most intense tropical cyclone ever recorded
- Hurricane Linda (1997) – strongest and most intense Pacific hurricane prior to Patricia
- Hurricane Kenna (2002) – Category 5 hurricane, made landfall at Category 4 intensity north of where Patricia made landfall
- Hurricane Willa (2018) – Category 5 hurricane, made landfall at Category 3 intensity north of where Patricia made landfall.
- Hurricane Lidia (2023) – Category 4 hurricane, made landfall at peak intensity north of where Patricia made landfall.
- Hurricane Otis (2023) - another rapidly intensifying Category 5 that broke Patricia's record as the most intense landfalling Pacific hurricane
Notes
- ^ All winds are one-minute sustained unless otherwise noted.
- ^ The figures for maximum sustained winds and position estimates are rounded to the nearest 5 units (knots, miles, or kilometers), following the convention used in the National Hurricane Center's products. Direct wind observations are rounded to the nearest whole number. Atmospheric pressures are listed to the nearest millibar and nearest hundredth of an inch of mercury.
- ^ All monetary totals are in 2015 values of their respective currency unless otherwise noted.
References
- ^ a b c d e f g h i j k l m Todd B. Kimberlain; Eric S. Blake; John P. Cangialosi (February 1, 2016). Hurricane Patricia (PDF) (Report). Tropical Cyclone Report. Miami, Florida: National Hurricane Center. Retrieved February 4, 2016.
- ^ Todd B. Kimberlain (October 20, 2015). Tropical Depression Twenty-E Discussion Number 1 (Report). Miami, Florida: National Hurricane Center. Archived from the original on April 28, 2016. Retrieved February 7, 2016.
- ^ Richard J. Pasch (October 22, 2015). Hurricane Patricia Discussion Number 8 (Report). Miami, Florida: National Hurricane Center. Archived from the original on April 28, 2016. Retrieved February 5, 2016.
- ^ Stacy R. Stewart (October 22, 2015). Tropical Storm Patricia Discussion Number 7 (Report). Miami, Florida: National Hurricane Center. Archived from the original on April 28, 2016. Retrieved February 5, 2016.
- ^ Michael J. Brennan (October 22, 2015). Hurricane Patricia Special Discussion Number 10 (Report). Miami, Florida: National Hurricane Center. Archived from the original on October 26, 2015. Retrieved February 7, 2015.
- ^ Michael J. Brennan (October 22, 2015). Hurricane Patricia Discussion Number 11 (Report). Miami, Florida: National Hurricane Center. Archived from the original on April 28, 2016. Retrieved February 7, 2015.
- ^ Dennis Mersereau (October 23, 2015). "At 200 MPH, Hurricane Patricia Is Now the Strongest Tropical Cyclone Ever Recorded". The Vane. Gawker Media. Archived from the original on October 23, 2015. Retrieved October 23, 2015.
- ^ Eric S. Blake (October 23, 2015). Hurricane Patricia Advisory Number 12 (Advisory). Miami, Florida: National Hurricane Center. Archived from the original on October 25, 2015. Retrieved October 26, 2015.
- ^ a b Marshall Shepherd (October 24, 2015). "Coverage of Hurricane Patricia Was Not Overblown, Likely Life-Saving". Forbes. Archived from the original on October 25, 2015. Retrieved October 26, 2015.
- ^ "Hurricane Patricia overblown? Storm weakens to Category 2, falls short of 'catastrophic'". The Post-Standard. Puerto Vallarta, Mexico. Associated Press. October 24, 2015. Archived from the original on October 26, 2015. Retrieved October 28, 2015.
- ^ Jason Samenow (October 26, 2015). "How Patricia, the strongest hurricane on record, may have miraculously killed so few". The Washington Post. Archived from the original on October 26, 2015. Retrieved October 26, 2015.
- ^ Carlos Guerrero (October 22, 2015). "Huracán 'Patricia' provocará en tres estados la lluvia de todo un año" (in Spanish). Mexico City, Mexico: Noticieros Televisa. Archived from the original on November 19, 2017. Retrieved October 22, 2015.
- ^ "Huracán Patricia de categoría 4 se acerca a costas de México". El Nuevo Herald (in Spanish). Mexico: The McClatchy Company. Associated Press. October 22, 2015. Archived from the original on October 24, 2015. Retrieved October 22, 2015.
- ^ "Suspenden clases en Guerrero por huracán 'Patricia'". El Universal (in Spanish). Acapulco, Mexico. Notimex. October 22, 2015. Archived from the original on October 24, 2015. Retrieved October 26, 2015.
- ^ "Activan operativo de emergencia en Jalisco por 'Patricia'; suspenden clases" (in Spanish). Mexico City, Mexico: Noticieros Televisa. October 22, 2015. Archived from the original on April 28, 2016. Retrieved October 22, 2015.
- ^ a b Saúl Prieto (October 23, 2015). "Presumen capacidad de evacuación ilimitada por 'Patricia'". El Informador (in Spanish). Guadalajara, Mexico. Archived from the original on October 24, 2015. Retrieved October 26, 2015.
- ^ a b c d Pierre-Marc René; Raul Torres; Juan Cervantes; Angel Arrieta (October 25, 2015). "Reportan afectaciones en 4 estados por 'Patricia'". El Universal (in Spanish). Mexico City, Mexico. Archived from the original on October 26, 2015. Retrieved October 25, 2015.
- ^ "Reportan muerte de mujer coahuilense por 'Patricia'". El Siglo de Durango (in Spanish). October 24, 2015. Archived from the original on October 26, 2015. Retrieved October 24, 2015.
- ^ a b c "Más de 3,000 hectáreas de cultivos sufrieron daños por el huracán Patricia". Univision (in Spanish). Univision Communications. October 26, 2015. Archived from the original on October 27, 2015. Retrieved October 26, 2015.
- ^ a b "Red Cross ramps up preparedness as strongest hurricane ever recorded bears down on Mexico". International Federation of Red Cross And Red Crescent Societies. ReliefWeb. October 24, 2015. Archived from the original on February 13, 2016. Retrieved February 7, 2016.
- ^ a b "Mexican Red Cross starts damage assessment". International Federation of Red Cross And Red Crescent Societies. Geneva, Panama: ReliefWeb. October 25, 2015. Archived from the original on October 26, 2015. Retrieved October 26, 2015.
- ^ a b c William Neuman; Elisabeth Malkin (October 24, 2015). "Lessons of Past Disasters Helped Mexico Sidestep the Brunt of a Hurricane". The New York Times. Mexico City, Mexico. Archived from the original on May 5, 2018. Retrieved October 26, 2015.
- ^ a b Paolina Albani (October 22, 2015). "Evacuan a 2,100 por el temporal estacionario". Siglo21 (in Spanish). Corporación de Noticias. Archived from the original on October 25, 2015. Retrieved October 22, 2015.
- ^ "Un muerto y damnificados por inundaciones en Guatemala". La Tribuna (in Spanish). Guatemala City, Guatemala. Agence France-Presse. October 18, 2015. Archived from the original on October 20, 2015. Retrieved October 22, 2015.
- ^ a b J. Lopez; F. Rodriquez (October 20, 2015). "Lluvias han afectado a 223 mil guatemaltecos". elPriódico (in Spanish). Archived from the original on November 24, 2015. Retrieved October 22, 2015.
- ^ Patricia Gómez (October 22, 2015). "Temporal afectó 28.2 mil hectáreas en Santa Rosa". Siglo21 (in Spanish). Corporación de Noticias. Archived from the original on March 3, 2016. Retrieved October 22, 2015.
- ^ a b c Carlos Segovia; Insy Mendoza; Susana Joma (October 17, 2015). "Un muerto, inundaciones y desbordamiento de ríos por lluvias en el oriente". elsalvador.com (in Spanish). Concepción de Oriente, El Salvador: El Diario de Hoy. Archived from the original on April 28, 2016. Retrieved October 22, 2015.
- ^ a b "Cuatro muertos, daños y suspensión de clases a causa de las lluvias". elsalvador.com (in Spanish). El Diario de Hoy. October 18, 2015. Archived from the original on October 22, 2015. Retrieved October 22, 2015.
- ^ "Merman lluvias en la región, pero autoridades mantendrán las alertas". El Heraldo (in Spanish). San Salvador, El Salvador. Agence France-Presse. October 21, 2015. Archived from the original on March 31, 2019. Retrieved October 22, 2015.
- ^ "Más de 200 familias evacuadas por inundaciones". La Tribuna (in Spanish). October 19, 2015. Archived from the original on January 28, 2018. Retrieved October 22, 2015.
- ^ "Se desborda el río Ulúa en el occidente y norte de Honduras" (in Spanish). Santa Bárbara, Honduras: La Prensa. October 17, 2015. Archived from the original on October 23, 2015. Retrieved October 22, 2015.
- ^ Hufo Solano (October 19, 2015). "Barriadas de Jacó sufrieron grandes pérdidas por inundaciones" (in Spanish). La Nación. Archived from the original on August 29, 2017. Retrieved October 22, 2015.
- ^ Silvia Hernández (October 20, 2015). "Lluvias provocan daños en mil 500 casas de Chetumal". El Universal (in Spanish). Quintana Roo, Mexico. Archived from the original on October 25, 2015. Retrieved October 28, 2015.
- ^ "Daños por lluvias en Chetumal ascienden a 1,400 mdp: alcalde" (in Spanish). Chetumal, Mexico: Unión Cancún. October 23, 2015. Archived from the original on October 25, 2015. Retrieved October 28, 2015.
- ^ "Busca Quintana Roo declaratoria de desastre para 7 municipios" (in Spanish). Chetumal, Mexico: El Diario. October 20, 2015. Archived from the original on October 21, 2015. Retrieved October 28, 2015.
- ^ Isabel Zamudio; Hermes Chávez; Óscar Rodríguez (October 21, 2015). "Reportan daños por lluvias en más de 50 alcaldías de Veracruz". Milenio (in Spanish). Xalapa, Mexico. Archived from the original on March 4, 2016. Retrieved October 28, 2015.
- ^ "Fenómenos meteorológicos dejan daños, deslaves y pérdidas al sur de México". CNN Mexico (in Spanish). Turner Broadcasting System. Notimex. October 20, 2015. Archived from the original on October 22, 2015. Retrieved October 28, 2015.
- ^ "Graves daños dejan lluvias en Oaxaca, alertan de deslaves carreteros". Ciudadanía Express (in Spanish). Oaxaca, Mexico. October 21, 2015. Archived from the original on March 4, 2016. Retrieved October 28, 2015.
- ^ Fredy Martín Pérez (October 21, 2015). "Se inundan 12 colonias por 'Patricia' en Chiapas". El Universal (in Spanish). Tapachula, Mexico. Archived from the original on October 25, 2015. Retrieved October 22, 2015.
- ^ "Deja tormenta severos daños a familias de Chiapas" (in Spanish). Chiapas, Mexico: W Radio. October 23, 2015. Archived from the original on October 26, 2015. Retrieved October 28, 2015.
- ^ Bob Henson (October 26, 2015). "The Cataclysm That Wasn't: Hurricane Patricia Largely Spares Mexico, Texas". Weather Underground. Archived from the original on October 27, 2015. Retrieved October 26, 2015.
- ^ "Se fue 'Patricia'... pero continuarán las lluvias en 21 estados y el DF". CNNMéxico (in Spanish). Mexico City, Mexico: Turner Broadcasting System. October 25, 2015. Archived from the original on October 26, 2015. Retrieved October 26, 2015.
- ^ "Los remanentes de 'Patricia' aún generarán fuertes lluvias en México". CNNMéxico (in Spanish). Turner Broadcasting System. October 24, 2015. Archived from the original on October 26, 2015. Retrieved October 26, 2015.
- ^ Antonio Hernández (October 28, 2015). "Suman 40 mil hectáreas afectadas por "Patricia"". El Universal. Mexico City, Mexico. Archived from the original on October 29, 2015. Retrieved October 28, 2015.
- ^ a b c "6 Deaths in Mexico linked to Hurricane Patricia". Fox Nes Latino. EFE. Archived from the original on October 27, 2015. Retrieved October 25, 2015.
- ^ a b c "Diez mil damnificados y dos muertos, el saldo de Patricia". Proceso (in Spanish). Mexico City, Mexico: Zócalo Saltillo. October 26, 2015. Archived from the original on October 27, 2015. Retrieved October 26, 2015.
- ^ a b Raúl Torres (November 28, 2015). ""Patricia" dejó daños por más de mil 139 mpd". El Universal (in Spanish). Guadalajara, Mexico. Archived from the original on December 8, 2015. Retrieved December 2, 2015.
- ^ a b Martín Aquino (November 23, 2015). "Reporta Colima daños por mil 700 mdp". Mural (in Spanish). Guadalajara, Mexico. Archived from the original on January 7, 2016. Retrieved December 2, 2015.
- ^ a b Carlos Arrieta (October 26, 2015). "Patricia colapsó la costa de Michoacán" (in Spanish). Michoacán, Mexico: W Radio. Archived from the original on October 27, 2015. Retrieved October 26, 2015.
- ^ a b Rosamaría Sánchez (October 26, 2015). ""Patricia" dejó daños de 13.5 millones de pesos en Michoacán". Provincia (in Spanish). Michoacán, Mexico. Archived from the original on December 8, 2015. Retrieved October 27, 2015.
- ^ a b Josh Morgerman (November 2, 2015). iCyclone Chase Report: Hurricane Patricia (PDF) (Report). iCyclone. Archived (PDF) from the original on December 8, 2015. Retrieved November 2, 2015.
- ^ "Patricia effect: Texas deluged, flash floods smash Houston". Java Studio Arsitek. USAToday. Archived from the original on December 8, 2015. Retrieved October 25, 2015.
- ^ Brown, Daniel; Kelly, Larry (October 25, 2023). Hurricane Otis Tropical Cyclone Update (Report). Miami, Florida. Retrieved October 24, 2023.
- ^ Kimberlain, Todd B.; Blake, Eric S.; Cangialosi, John P. (February 1, 2016). Hurricane Patricia (PDF) (Report). Tropical Cyclone Report. Miami, Florida: National Hurricane Center. Retrieved February 4, 2016.
- ^ Gunther, Emil B. (April 1977). "Eastern North Pacific Tropical Cyclones of 1976". Monthly Weather Review. 105 (4). Eastern Pacific Hurricane Center: 508–522. Bibcode:1977MWRv..105..508G. doi:10.1175/1520-0493(1977)105<0508:EPTCO>2.0.CO;2. Retrieved October 11, 2011.
- ^ a b Blake, Eric S; Gibney, Ethan J; Brown, Daniel P; Mainelli, Michelle; Franklin, James L; Kimberlain, Todd B; Hammer, Gregory R (2009). Tropical Cyclones of the Eastern North Pacific Basin, 1949-2006 (PDF). Archived (PDF) from the original on April 11, 2024. Retrieved June 14, 2013.
- ^ The 1992 Central Pacific Tropical Cyclone Season (PDF) (Report). Honolulu, Hawaii: Central Pacific Hurricane Center. 1993. Retrieved November 24, 2003.
- ^ Franklin, James L. (December 26, 2002). Hurricane Kenna (PDF) (Report). Tropical Cyclone Report. Miami, Florida: National Hurricane Center. Retrieved October 11, 2011.
- ^ Bucci, Lisa; Brown, Daniel (October 10, 2023). Hurricane Lidia Intermediate Advisory Number 31A (Report). Miami, Florida: National Hurricane Center. Retrieved October 11, 2023.
- ^ Pierre-Marc René (October 28, 2015). "Sedesol reporta 9 mil viviendas dañadas por "Patricia" en Jalisco". El Universal (in Spanish). Jalisco, Mexico. Archived from the original on October 29, 2015. Retrieved October 28, 2015.
- ^ Jennifer Gonzalez Covarrubias (October 25, 2015). "Hurricane flattens Mexico homes, but no major disaster". Chamela, Mexico: ReliefWeb. Agence France-Presse. Archived from the original on February 13, 2016. Retrieved February 7, 2016.
- ^ a b Raúl Torres (October 28, 2015). "Calculan en 168 mdp pérdidas en cultivos por "Patricia"". El Universal (in Spanish). Mexico City, Mexico. Archived from the original on October 29, 2015. Retrieved October 28, 2015.
- ^ "Los Llanitos". Marine Traffic. 2015. Archived from the original on December 8, 2015. Retrieved October 26, 2015.
- ^ "Hurricane Patricia wedges huge cargo ship between rocks". 9news.com.au. ninemsn. October 26, 2015. Archived from the original on October 27, 2015. Retrieved October 26, 2015.
- ^ *"Update: Bulk carrier LOS LLANITOS probably a total loss". Vessel Finder. October 27, 2015. Archived from the original on December 22, 2015. Retrieved December 19, 2015.
- Greg Norman (February 9, 2016). "The dangerous business of ship salvage". Fox News Channel. Archived from the original on February 29, 2016. Retrieved February 26, 2016.
- "Aseguradora incumple para desmantelar buque 'Los Llanitos'" (in Spanish). Colima, Mexico: Noticieros Televisa. February 24, 2016. Archived from the original on March 5, 2016. Retrieved February 26, 2016.
- ^ Juan Carlos Flores (October 25, 2015). "Calculan daños en Colima por más de 112 millones de pesos". La Jordana (in Spanish). Colima, Mexico. Archived from the original on October 26, 2015. Retrieved October 25, 2015.
- ^ a b Raquel Flores (October 25, 2015). "Incomunicadas 380 comunidades en Michoacán por Patricia" (in Spanish). Grupo Fórmula. Archived from the original on October 27, 2015. Retrieved October 26, 2015.
- ^ Fátima Miranda (November 23, 2015). "Con daños, mil 639 casas por 'Patricia'" (in Spanish). La Voz de Michoacán. Archived from the original on November 27, 2015. Retrieved December 2, 2015.
- ^ a b Sergio Lemus (October 28, 2015). "Patricia deja 2 mil viviendas afectadas en Michoacán". La Voz de Michoacán (in Spanish). Morelia, Mexico. Archived from the original on October 28, 2015. Retrieved October 28, 2015.
- ^ ""Patricia" deja primeros daños en el País" (in Spanish). Mexico City, Mexico: Frontera. October 22, 2015. Archived from the original on October 26, 2015. Retrieved October 22, 2015.
- ^ "Evalúan daños en Tamaulipas por remanentes de 'Patricia'". El Informador (in Spanish). Reynosa, Mexico. October 27, 2015. Archived from the original on October 29, 2015. Retrieved October 28, 2015.
- ^ Jeff Masters; Bob Henson (October 24, 2015). "Patricia's Remnants to Fuel Dangerous Rains in Texas". Weather Underground. Archived from the original on October 25, 2015. Retrieved October 25, 2015.
- ^ Greg Botelho (October 24, 2015). "Torrential rain – up to 20 inches in spots – pummels much of Texas". CNN. Archived from the original on October 26, 2015. Retrieved October 26, 2015.
- ^ Tom Dart (October 25, 2015). "South-east Texas avoids extensive flood damage after hurricane Patricia fears". The Guardian. Archived from the original on October 25, 2015. Retrieved October 26, 2015.
- ^ Amanda Orr (October 25, 2015). "In Hurricane Patricia's wake, torrential rains move into Louisiana". Reuters. Houston, Texas. Archived from the original on October 26, 2015. Retrieved October 26, 2015.
- ^ Texas Event Report: EF0 Tornado. National Weather Service Office in Houston/Galveston, Texas (Report). National Climatic Data Center. 2016. Archived from the original on March 4, 2016. Retrieved February 26, 2016.
- ^ Texas Event Report: Heavy Rain. National Weather Service Office in Brownsville, Texas (Report). National Climatic Data Center. 2016. Archived from the original on March 4, 2016. Retrieved February 26, 2016.
- ^ Texas Event Report: Heavy Rain. National Weather Service Office in Corpus Christi, Texas (Report). National Climatic Data Center. 2016. Archived from the original on March 4, 2016. Retrieved February 26, 2016.
- ^ Texas Event Report: Heavy Rain. National Weather Service Office in Corpus Christi, Texas (Report). National Climatic Data Center. 2016. Archived from the original on March 4, 2016. Retrieved February 26, 2016.
- ^ Texas Event Report: Heavy Rain. National Weather Service Office in Brownsville, Texas (Report). National Climatic Data Center. 2016. Archived from the original on March 4, 2016. Retrieved February 26, 2016.
- ^ Amanda K. Fanning (October 24, 2015). Storm Summary Number 10 for Southern Plains Heavy Rainfall (Report). College Park, Maryland: Weather Prediction Center. Archived from the original on June 7, 2017. Retrieved October 26, 2015.
- ^ Amanda K. Fanning (October 24, 2015). Storm Summary Number 15 for Southern Plains Heavy Rainfall (Report). College Park, Maryland: Weather Prediction Center. Archived from the original on May 24, 2024. Retrieved October 26, 2015.
- ^ "NASA Sees Post-Patricia Moisture, Winds Stalking the Mid-Atlantic". October 21, 2015. Archived from the original on August 28, 2016. Retrieved September 6, 2016.
- ^ "Patricia Remnants Bring Flood Threat to Midwest, Northeast". NBC News. October 27, 2015. Archived from the original on October 24, 2018. Retrieved September 21, 2018.
- ^ Remnants of Hurricane Patricia causing power outages in Shreveport, KSLA, October 28, 2015
- ^ "5 mil 791 marinos ayudan a damnificados por Patricia" (in Spanish). Terra Networks. October 25, 2015. Archived from the original on December 22, 2015. Retrieved October 26, 2015.
- ^ Jorge Velazco (October 29, 2015). "Darán 76 millones a Jalisco por huracán "Patricia"". Milenio (in Spanish). Guadalajara, Mexico. Archived from the original on October 30, 2015. Retrieved October 29, 2015.
- ^ Angélica Enciso Landeros (October 28, 2015). "Destinarán $34 millones a afectados en Colima por 'Patricia': Meade". La Jordana (in Spanish). Manzanillo, Mexico. Archived from the original on October 29, 2015. Retrieved October 28, 2015.
- ^ "Sector ambiental presenta reporte de daños en Colima por 'Patricia'" (in Spanish). Ángel Guardian. October 27, 2015. Archived from the original on March 3, 2016. Retrieved October 28, 2015.
- ^ "Declaran desastre en 15 municipios; aumentan daños registrados en casas". El Informador (in Spanish). Guadalajara, Mexico. October 28, 2015. Archived from the original on October 29, 2015. Retrieved October 28, 2015.
- ^ "Apoya INADEM a afectados por huracán". Milenio (in Spanish). Guadalajara, Mexico. January 21, 2016. Archived from the original on January 23, 2016. Retrieved February 7, 2016.
- ^ Angelina Arredondo Elizalde (January 11, 2016). "Continúa el apoyo a afectados por huracán "Patricia"". Provincia (in Spanish). Morelia, Mexico. Archived from the original on August 13, 2016. Retrieved February 7, 2016.
- ^ "World Meteorological Organization retires storm names Erika, Joaquin and Patricia" (Press release). National Oceanic and Atmospheric Administration. April 25, 2016. Archived from the original on June 1, 2016. Retrieved April 26, 2016.
External links

- The National Hurricane Center's advisory archive for Hurricane Patricia
- The National Hurricane Center's advisory graphics archive for Hurricane Patricia
- The National Hurricane Center's Tropical Cyclone Report for Hurricane Patricia
- ReliefWeb page for Hurricane Patricia