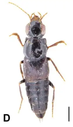
Indoquedius parallelicollis

Indoquedius parallelicollis
Scientific classification Edit this classification
Kingdom: Animalia
Phylum: Arthropoda
Class: Insecta
Order: Coleoptera
Suborder: Polyphaga
Infraorder: Staphyliniformia
Family: Staphylinidae
Genus: Indoquedius
Species:
I. parallelicollis
Binomial name
Indoquedius parallelicollis
(Scheerpeltz, 1965)
Synonyms
  • Quedius (Indoquedius) parallelicollis Scheerpeltz, 1965
  • Quedius (Indoquedius) sanguinipennis Scheerpeltz, 1965
  • Indoquedius bicoloris Smetana, 2014
  • Indoquedius qiuae Yan et al., 2017

Indoquedius parallelicollis is a species of beetle of the family Staphylinidae. It is a widespread, potentially common species which is known from medium elevations in northern Myanmar and Yunnan and Sichuan in China.

Indoquedius parallelicollis appears to be tolerant to human disturbance and has been collected in a haystack and plant debris in a ruderal habitat. Other specimens have been collected in a mixed forest by sifting litter, twigs and roots.[1]

References