Leptopodidae
Leptopodidae Temporal range:
| |
---|---|
![]() | |
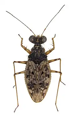
Leptopus marmoratus | |
Scientific classification ![]() | |
Kingdom: | Animalia |
Phylum: | Arthropoda |
Class: | Insecta |
Order: | Hemiptera |
Suborder: | Heteroptera |
Infraorder: | Leptopodomorpha |
Family: | Brullé, 1836 |
Leptopodidae is a family of spiny-legged bugs in the order Hemiptera. There are about 15 genera and more than 40 described species in Leptopodidae.[1][2][3]
Genera
These 17 genera belong to the family Leptopodidae:[4]
- Erianotoides J.Polhemus & D.Polhemus, 1991
- Erianotus Fieber, 1861
- Lahima Linnavuori & Van Harten, 2002-22
- Leotichius Distant, 1904
- Leptopoides J.Polhemus & D.Polhemus, 1991-01
- Leptopus Latreille, 1809
- Martiniola Horváth, 1911
- Patapius Horváth, 1912
- Saldolepta Schuh & J.Polhemus, 1980
- Valleriola Distant, 1904
- † Archaesalepta Grimaldi & Engel, 2013 Cambay amber, India, Eocene
- † Cretaceomira McKellar & Engel, 2014 Canadian amber, Campanian
- † Cretaleptus Sun and Chen 2020 Burmese amber, Myanmar, Cenomanian
- † Leptosalda Cobben, 1971 Dominican amber, Mexican amber, Miocene
- † Macrolepta Yu, Zhuo & Chen, 2023 Burmese amber, Myanmar, Cenomanian
- † Palaeoleptus Poinar 2009 Burmese amber, Myanmar, Cenomanian
- † Palaeotanyrhina Poinar, Brown & Kóbor 2009 Burmese amber, Myanmar, Cenomanian
References
- ^ "Leptopodidae Report". Integrated Taxonomic Information System. Retrieved 2019-06-14.
- ^ "Leptopodidae". GBIF. Retrieved 2019-06-14.
- ^ "Family Leptopodidae information". BugGuide.net. Retrieved 2019-06-14.
- ^ Rédei, Dávid (2024-11-01). "A re-assessment of Palaeotanyrhina (Hemiptera: Heteroptera) elucidates the phylogeny of Leptopodoidea". Insect Systematics and Diversity. 8 (6): 5. doi:10.1093/isd/ixae030. ISSN 2399-3421.
Further reading
- Schuh, Randall T.; Galil, Bella; Polhemus, John T. (1987). "Catalog and bibliography of Leptopodomorpha (Heteroptera)". Bulletin of the American Museum of Natural History. 185: 243–406. hdl:2246/970.
- Aukema, Berend; Rieger, Christian, eds. (1995). Catalogue of the Heteroptera of the Palaearctic Region, Vol. 1: Enicocephalomorpha, Dipsocoromorpha, Nepomorpha, Gerromorpha and Leptopodomorpha. The Netherlands Entomological Society. ISBN 978-90-71912-12-2.
- Bantock, T.; Botting, J. (2013). "British Bugs, an online identification guide to UK Hemiptera". Retrieved 2019-07-02.
External links
Media related to Leptopodidae at Wikimedia Commons