Pseudaeolesthes aureopilosa

Pseudaeolesthes aureopilosa
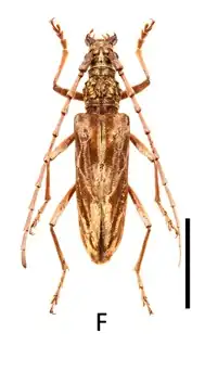
Male
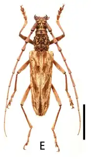
Female
Scientific classification Edit this classification
Kingdom: Animalia
Phylum: Arthropoda
Class: Insecta
Order: Coleoptera
Suborder: Polyphaga
Infraorder: Cucujiformia
Family: Cerambycidae
Genus: Pseudaeolesthes
Species:
P. aureopilosa
Binomial name
Pseudaeolesthes aureopilosa
(Gressitt & Rondon, 1970)
Synonyms
  • Aeolesthes (Pseudaeolesthes) aureopilosa Gressitt & Rondon, 1970

Pseudaeolesthes aureopilosa is a species of beetle in the family Cerambycidae. This species is found in Laos, Vietnam[1] and China (Yunnan).[2]

References

  1. ^ Tavakilian, G.; Chevillotte, H. "Pseudaeolesthes aureopilosa (Gressitt & Rondon, 1970)". Base de données Titan sur les Cerambycidés ou Longicornes. IRD-MNHN. Retrieved 4 July 2025.
  2. ^ Some new distribution records of longicorn beetles (Coleoptera) from a collecting trip in South Yunnan, China