Vassincourt Airfield
Vassincourt Airfield![]() ![]() | |||||||
---|---|---|---|---|---|---|---|
Bar-le-Duc | |||||||
Vassincourt, Grand Est in France | |||||||
![]() | |||||||
Site information | |||||||
Type | Military airfield | ||||||
Operator | Royal Air Force Luftwaffe French Air Force US Army | ||||||
Location | |||||||
Coordinates | 48°48′30″N 5°02′30″E / 48.80833°N 5.04167°E | ||||||
Site history | |||||||
Built | 1931 | ||||||
In use | 1931 - 1952 | ||||||
Airfield information | |||||||
|
Vassincourt Airfield (also known as Bar-le-Duc) is a former landing ground in the commune of Vassincourt, North-eastern France.
History
At the end of World War I, the French government launched a plan (known as the Saconney Plan) for organizing flight routes, and the construction of civil and military airfields until 1933.
On June 22, 1931, the Air Club of Barrois was formed for the purpose of developing aviation, especially engineless aircraft. It was set up at Vassincourt Airfield, which caught the attention of the Army in 1935. At the beginning of October 1939, a Potez 631 from Training Section 408 arrived from the Marignane base.
World War II
On October 9, 1939, the airfield was occupied by the No. 1 Squadron RAF, equipped with Hawker Hurricanes belonging to the No. 67 Squadron RAF. On 2 March 1940, a Hawker Hurricane operated by No. 1 Squadron crashed shortly after departing Vassincourt, killing the pilot. On May 10, 1940, the wing permanently left, and the Aerial Reconnaissance Group 11/22 moved in. On May 14, the Aerial Observation Group 2/520 was withdrawn from Challerange (Ardennes), and moved to Vassincourt with its three Potez 63/11s and three Mureaux 115s. One Potez was shot down on the 24th, and the group was withdrawn on May 28.[1][2][3]
German Occupation
In 1943, the airfield taken over by the Luftwaffe and the Fallschirmjäger-Ausb Regiment. During the German occupation, the airfield was used to grow food, rendering the runway unserviceable for aircraft.[2]
After the Liberation of France, in 1945, Vassincourt Airfield was revived under the name of Meuse Air Club, and a hangar was constructed. In 1948, the air club was evicted, and dissolved in 1963 as the airfield was requisitioned for use as an American medical warehouse.[4]
Post War
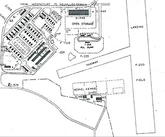
On September 27, 1951, the old airfield was placed at the disposal of the United States Army for the establishment of a medical depot and a hospital, as it was located on military land. The 97th Engineer Battalion moved in to construct the medical depot, and also a barracks. The airfield was permanently closed under the Decree of May 14, 1952.[4]
When the US Army left France in 1967, the facilities were purchased by a partnership and planned to transform the buildings into a center for handicapped children.[4]
Layout
The airfield was operated by a 990 x 1465 meters grass runway, and several hangars.[2]
References
- ^ "Accident Piper PA-28-181 Archer II F-GMPQ, 07 Dec 2012". Aviation Safety Network. 7 December 2012. Retrieved 7 October 2024.
- ^ a b c L, Henry (July 2014). Luftwaffe Airfields 1935-1945 (with Corsica and Channel Islands) - France (PDF). pp. 32–33.
{{cite book}}
: CS1 maint: year (link) - ^ The Little Known Airfield Vassincourt (PDF). Donald M. Ricks. pp. 6–7. Retrieved 7 October 2024.
- ^ a b c The Little Known Airfield Vassincourt (PDF). Donald M. Ricks. pp. 8–9. Retrieved 7 October 2024.