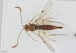
Archaeoteleia chambersi

Taxonavigation
| Taxonavigation: Platygastroidea |
|---|
|
Superregnum: Eukaryota |
Familia: Platygastridae
Subfamilia: Scelioninae
Genus: Archaeoteleia
Species:
Name
Archaeoteleia chambersi Early, in Early, Masner & Johnson, 2007
References
- Early, J.W.; Masner, L.; Johnson, N.F. 2007: Revision of Archaeoteleia Masner (Hymenoptera: Platygastroidea, Scelionidae). Zootaxa, 1655: 1–48. PDF