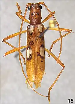
Beraba
_Figures_15%E2%80%9319_(cropped).jpg)
Taxonavigation
| Taxonavigation: Chrysomeloidea |
|---|
|
Superregnum: Eukaryota |
Familia: Cerambycidae
Subfamilia: Cerambycinae
Tribus: Eburiini
Genus:
Species:
B. anae –
B. angeli –
B. angusticollis –
B. cauera –
B. cheilaria –
B. decora –
B. erosa –
B. grammica –
B. hovorei –
B. inermis –
B. iuba –
B. limpida –
B. longicollis –
B. marica –
B. moema –
B. odettae –
B. pallida –
B. piriana –
B. spinosa –
B. tate
Name
Beraba Martins, 1997: 67
- Type species: Beraba moema Martins, 1997 by original designation.
References
Primary references
- Martins, U.R. 1997. Contribuições para uma revisão das espécies sul-americanas da Tribo Eburiini (Coleoptera, Cerambycidae). Revista Brasileira de Entomologia 41(1): 57–83, 11 figs. Reference page. [original description: p. 67]
Additional references
- Botero, J.P. 2015. Three new species, a lectotype designation, and taxonomic and geographic notes in Eburiini (Coleoptera, Cerambycidae, Cerambycinae). European journal of taxonomy 148: 1–22. DOI: 10.5852/ejt.2015.148 Reference page. [Key to species of Beraba (modified and translated from Martins 1999): p. 3]
- García, K., Botero, J.P. & Martínez-Hernández, N.J. 2019. Two new species of Beraba Martins, 1997 and new geographical records of Eburiini (Coleoptera, Cerambycidae). Zookeys, 827: 125–138. DOI: 10.3897/zookeys.827.31469 Reference page.