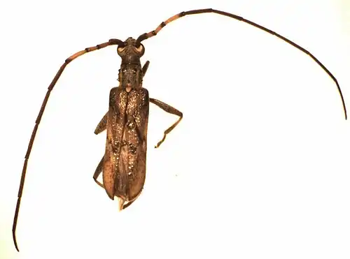
Didymocantha obliqua

Taxonavigation
| Taxonavigation: Chrysomeloidea |
|---|
|
Superregnum: Eukaryota |
Familia: Cerambycidae
Subfamilia: Cerambycinae
Tribus: Callidiopini
Genus: Didymocantha
Species:
Name
- Didymocantha obliqua Newman, 1840
References
Primary references
- Newman, E. 1840: Nonnullorum Cerambycitum novorum, Novam Hollandiam et Insulam Van Diemen habitantium characteres. Annals and magazine of natural history, 5: 14–21. BHL [20, original description]
Additional references
- Macfarlane, R.P., Maddison, P.A., Andrew, I.G., Berry, J.A., Johns, P.M., Hoare, R.J.B., Larivière, M.-C., Greenslade, P., Henderson, R.C., Smithers, C.N., Palma, R.L., Ward, J.B., Pilgrim, R.L.C., Towns, D.R., McLellan, I., Teulon, D.A.J., Hitchings, T.R., Eastop, V.F., Martin, N.A., Fletcher, M.J., Stufkens, M.A.W., Dale, P.J., Burckhardt, D., Buckley, T.R. & Trewick, S.A. 2010. Phylum Arthropoda subphylum Hexapoda: Protura, springtails, Diplura, and insects. Pp. 233–467 in: Gordon, D.P. (ed.) 2010. New Zealand Inventory of Biodiversity. Volume 2. Kingdom Animalia. Chaetognatha, Ecdysozoa, ichnofossils. Canterbury University Press, Christchurch, New Zealand. Reference page. PDF. Reference page. [428, listed]