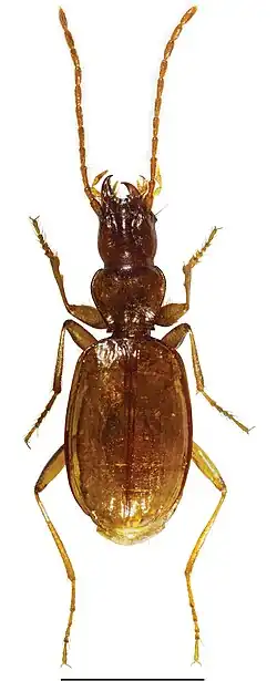
Duvalius semecensis tarensis
_Figure_2.jpg)
Taxonavigation
| Taxonavigation: Adephaga |
|---|
|
Superregnum: Eukaryota |
Familia: Carabidae
Subfamilia: Trechinae
Supertribus: Trechitae
Tribus: Trechini
Subtribus: Trechina
Genus: Duvalius
Subgenus: Duvalius (Biharotrechus)
Species: Duvalius semecensis
Subspecies:
Name
Duvalius (Biharotrechus) semecensis tarensis Ćurčić & Vesović in Ćurčić et al., 2022: 77
Type locality: Western Serbia, town of Bajina Bašta, Mt. Tara, village of Solotuša, an unnamed cave, 43°53'46.023"N, 19°36'1.339"E.
Holotype: IFZB. male ♂. 20.V–5.XI.2017.
References
Primary references
- Ćurčić, S.B., Vesović, N., Kuraica, M., Bosco, F., Ćurčić, N.B. & Vrbica, M. 2022. A new subspecies of the genus Duvalius Delarouzée, 1859 (Coleoptera, Carabidae, Trechini) from western Serbia, with a key and an annotated catalogue of Serbian Biharotrechus and Duvalius s. str. taxa. Subterranean Biology 43: 73–95. DOI: 10.3897/subtbiol.43.76049.
. Reference page.