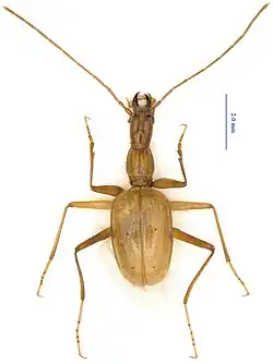
Guiaphaenops deuvei
_Figure_2.jpg)
Taxonavigation
| Taxonavigation: Adephaga |
|---|
|
Superregnum: Eukaryota |
Familia: Carabidae
Subfamilia: Trechinae
Supertribus: Trechitae
Tribus: Trechini
Subtribus: Trechina
Genus: Guiaphaenops
Species:
Name
Guiaphaenops deuvei Feng, Wei & Tian, 2017
Type locality: an anonymous cave near Yangli Cun, Jiayou Zhen, Lingyun Xian, Baise Shi, Guangxi, 24°28'39"N, 106°37'52"E, 643 m.
Holotype: SCAU. male ♂. 25.VII.2012. legit Mingyi Tian, Weixin Liu, Feifei Sun & Haomin Yin.
References
Primary references
- Feng, B., Wei, G-F. & Tian, M-Y. 2017. A review of the cavernicolous genus Guiaphaenops Deuve, with the description of a new species (Coleoptera, Carabidae, Trechinae). ZooKeys 669: 53—63. DOI: 10.3897/zookeys.669.12334. Reference page.
Links
- Lorenz, W. 2018. CarabCat: Global database of ground beetles (version Oct 2017). In: Roskov Y., Abucay L., Orrell T., Nicolson D., Bailly N., Kirk P.M., Bourgoin T., DeWalt R.E., Decock W., De Wever A., Nieukerken E. van, Zarucchi J., Penev L., eds. 2018. Species 2000 & ITIS Catalogue of Life, 20th December 2017. Digital resource at www.catalogueoflife.org/col. Species 2000: Naturalis, Leiden, the Netherlands. ISSN 2405-8858. Reference page. [accessed on December 10, 2018]