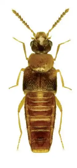
Gyrophaena sculptipennis
_sculptipennis.jpg)
Taxonavigation
| Taxonavigation: Staphylinoidea |
|---|
|
Superregnum: Eukaryota |
Familia: Staphylinidae
Subfamilia: Aleocharinae
Tribus: Homalotini
Subtribus: Gyrophaenina
Genus: Gyrophaena
Species:
Name
Gyrophaena sculptipennis Casey, 1906: 298
References
Primary references
- Casey, T.L. 1906. Observations on the staphylinid groups Aleocharinae and Xantholinini, chiefly of America. Transactions of the Academy of Science of St. Louis 16(6): 125โ435. BHL Reference page. [original description: p. 298]
Additional references
- Klimaszewski, J., Langor, D.W., Hammond, H.E.J. & Bourdon, C. 2016. A new species of Anomognathus and new Canadian and provincial records of aleocharine rove beetles from Alberta, Canada (Coleoptera, Staphylinidae, Aleocharinae). ZooKeys 581: 141โ164. DOI: 10.3897/zookeys.581.8014. Reference page. [diagnosis, distribution: p. 158, figs. 45โ51]