Hyginus

Taxonavigation
| Taxonavigation: Lygaeoidea |
|---|
|
Superregnum: Eukaryota |
Familia: Heterogastridae
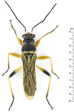
Genus:
Species:
H. africanus –
H. auricomus –
H. divisus –
H. guinensis –
H. kinbergi
Name
Hyginus Stål, 1859
Type species: Phygadicus kinbergi Stål, 1859 by original monotypy