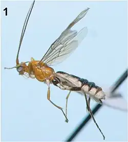
Iporhogas

Taxonavigation
| Taxonavigation: Ichneumonoidea |
|---|
|
Superregnum: Eukaryota |
Familia: Braconidae
Subfamilia: Rogadinae
Genus:
Species:
I. albilateralis –
I. contrastus –
I. simulatus –
I. tricoloratus – ...
Name
Iporhogas Granger, 1949: Mém. Inst. sci. Madagascar, 2A, 167.
References
- Long, K.D. 2014: New records of the genus Iporhogas Granger (Hymenoptera, Braconidae, Rogadinae) from Vietnam, with description of four new species. ZooKeys 428: 79–96. DOI: 10.3897/zookeys.428.7729 Reference page.