Jethsura

Taxonavigation
| Taxonavigation: Ichneumonoidea |
|---|
|
Superregnum: Eukaryota |
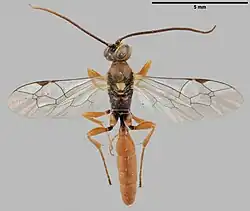
Familia: Ichneumonidae
Genus:
Species: J. pyriformis
Name
Type species: Jethsura ferruginea Cameron, 1902: 374, by monotypy. (Junior synonym of Ischnus pyriformis Provancher, 1875: 109; e.g. see Krombein & Burks 1967: 131 (but may be earlier)).
Gender: feminine
Synonymy
[?]
Primary references
- Cameron, P. 1902. Description of new genera and species of American Hymenoptera. Transactions of the American Entomological Society 28: 369–377. BHL Reference page.
- Provancher, L. 1875. Les Ichneumonides de Quebec. Le Naturaliste Canadien 7: 109–121. BHL Reference page.
- Krombein, K.V. & Burks, B.D. 1967. Hymenoptera of America north of Mexico. Synoptic Catalog (Agriculture Monograph No. 2). Second supplement. United States Government Printing Office, Washington. 584 pp. BHL Reference page.
Additional references
Links
- BHL bibliography
- Jethsura – Taxon details on Encyclopedia of Life (EOL).
- Global Biodiversity Information Facility. 2019. GBIF Backbone Taxonomy. Checklist dataset. Taxon: Jethsura.
- ION
- Nomenclator Zoologicus