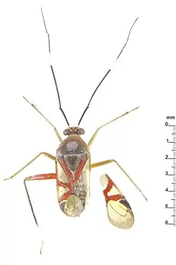
Kosmiomiris

Taxonavigation
| Taxonavigation: Miroidea |
|---|
|
Superregnum: Eukaryota |
Familia: Miridae
Subfamilia: Mirinae
Tribus: Hyalopeplini
Genusː
Species:
K. carvalhoi –
K. rubroornatus
Name
- Kosmiomiris Kirkaldy, 1902
References
Original reference
- Kirkaldy, G.W. 1902. Miscellanea Rhynchotalia. - No. 3. The Entomologist 35: 136–138. BHL Reference page.
Selected references
- Kim, J., Damken, C., Sah, H.H.A. & Jung, S. 2019. Notes on the genus Kosmiomiris Kirkaldy (Hemiptera: Miridae: Hyalopeplini) with description of a new species. Zootaxa 4657(2): 377–384. DOI: 10.11646/zootaxa.4657.2.10
Reference page.