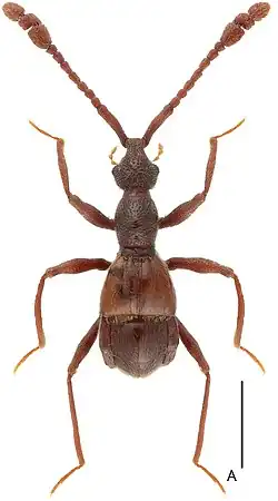
Linan divaricatus
_Figure_4_(cropped).jpg)
Taxonavigation
| Taxonavigation: Staphylinoidea |
|---|
|
Superregnum: Eukaryota |
Familia: Staphylinidae
Subfamilia: Pselaphinae
Supertribus: Pselaphitae
Tribus: Tyrini
Subtribus: Tyrina
Genus: Linan
Species:
Name
Linan divaricatus Zhang, Li & Yin, 2018: 121
- Type locality: CHINA: W. Jiangxi Province, Luxi County, Wugong Shan, 27°27'53"N, 114°10'47"E, ca. 1570 m.
- Holotype: SNUC, ♂, 27.x.2013, Peng, Shen & Yan leg.
References
Primary references
- Zhang, Y-Q., Li, L-Z. & Yin, Z-W. 2018. Six new species and a new record of Linan Hlaváč in China, with a key to species (Coleoptera, Staphylinidae, Pselaphinae). ZooKeys 793: 115–133. DOI: 10.3897/zookeys.793.27661 Reference page. [original description: p. 121, figs. 4A, 5, 11A]