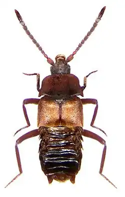
Lomechusa pubicollis

Taxonavigation
| Taxonavigation: Staphylinoidea |
|---|
|
Superregnum: Eukaryota |
Familia: Staphylinidae
Subfamilia: Aleocharinae
Tribus: Lomechusini
Subtribus: Lomechusina
Genus: Lomechusa
Species:
Name
Lomechusa pubicollis Brisout de Barneville, 1860: 346
- Type locality: Saint Germain.
Synonymy
- Atemeles excisus Thomson, 1871: 371 [synonymy in Wasmann, 1984: 284]
- Atemeles pratensoides Wasmann, 1904: 10 [synonymy in Hlaváč, 2005: 236]
- Atemeles pubicollis var. flexicollis Wasmann, 1887: 101 [synonymy in Smetana, 2004: 456]
- Atemeles pubicollis var. foreli Wasmann, 1892: 351 [synonymy in Smetana, 2004: 456]
- Atemeles pubicollis truncicoloides Wasmann, 1911: 270 [synonymy in Smetana, 2004: 456]
Native distribution areas
Europe, Russia (European).
References
Primary references
- Brisout de Barneville, C. 1860. Descriptions de quelques coléoptères nouveaux propres à la faune française et spécialement aux environs de Paris. Annales de la Société entomologique de France (3) 8: 339–350. [original description: p. 346]