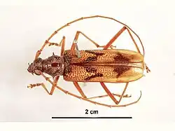
Phoracantha acanthocera

Taxonavigation
| Taxonavigation: Chrysomeloidea |
|---|
|
Superregnum: Eukaryota |
Familia: Cerambycidae
Subfamilia: Cerambycinae
Tribus: Phoracanthini
Genus: Phoracantha
Species:
Name
Phoracantha acanthocera (MacLeay, 1826)
References
Links
- Tavakilian, G. & Chevillotte, H. 2018. TITAN: Cerambycidae database (version Dec. 2018). In: Roskov Y., Ower G., Orrell T., Nicolson D., Bailly N., Kirk P.M., Bourgoin T., DeWalt R.E., Decock W., Nieukerken E. van, Zarucchi J. & Penev L., eds. 2018. Species 2000 & ITIS Catalogue of Life, 29th November 2018. Digital resource at www.catalogueoflife.org/col. Species 2000: Naturalis, Leiden, the Netherlands. ISSN 2405-8858. Reference page. [accessed on March 9, 2019]