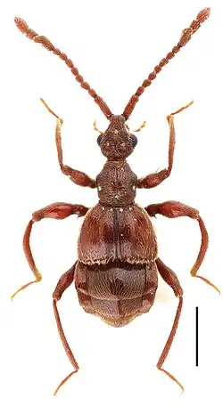
Pselaphodes zhongdianus

Taxonavigation
| Taxonavigation: Staphylinoidea |
|---|
|
Superregnum: Eukaryota |
Familia: Staphylinidae
Subfamilia: Pselaphinae
Supertribus: Pselaphitae
Tribus: Tyrini
Subtribus: Tyrina
Genus: Pselaphodes
Species:
Name
Pselaphodes zhongdianus Yin & Li, 2012: 114
- Type locality: CHINA: N-Yunnan, Zhongdian Co., 46 km SSE Zhongdian, 27°27.0'N, 99°54.7'E, 3050-3100 m.
- Holotype: Michael Schülke private collection, ♂, 17.VIII.2003, leg. M. Schülke.
References
Primary references
- Yin, Z-W. & Li, L-Z. 2012. Notes on Michael Schülke’s pselaphine collections from China. – Tyrini. I. genera Labomimus Sharp, Linan Hlaváč and Pselaphodes Westwood (Coleoptera, Staphylinidae, Pselaphinae). ZooKeys 251: 83-118. DOI: 10.3897/zookeys.251.4099 Reference page. [original description: p. 114, figs. 15D, 19]