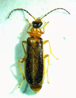
Rhagonycha mollis

Taxonavigation
| Taxonavigation: Elateroidea |
|---|
|
Superregnum: Eukaryota |
Familia: Cantharidae
Subfamilia: Cantharinae
Tribus: Cantharini
Genus: Rhagonycha
Species:
Name
Rhagonycha mollis Fall, 1936
Synonymy
Rhagonycha nigriceps LeConte, 1838