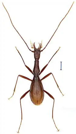
Shuangheaphaenops elegans
_Figure_2.jpg)
Taxonavigation
| Taxonavigation: Adephaga |
|---|
|
Superregnum: Eukaryota |
Familia: Carabidae
Subfamilia: Trechinae
Genus: Shuangheaphaenops
Species:
Name
Shuangheaphaenops elegans Tian, 2017
Type locality: Cave Mahuang Dong, Shuanghe Dong cave system, Wenquan Zhen, Suiyang County, 28°14'32"N, 107°17'24"E, 720 m.
Holotype: SCAU. male ♂. 18.X.2016. legit Wenbo Li.
References
Primary references
- Tian, M-Y. 2017. A new highly cave-adapted trechine genus and species from northern Guizhou Province, China (Coleoptera, Carabidae, Trechinae). ZooKeys 643: 97-108. DOI: 10.3897/zookeys.643.11050. Reference page.