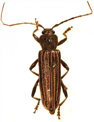
Xuthodes batesi
Taxonavigation

| Taxonavigation: Chrysomeloidea |
|---|
|
Superregnum: Eukaryota |
Familia: Cerambycidae
Subfamilia: Cerambycinae
Tribus: Hesperophanini
Genus: Xuthodes
Species:
Name
- Xuthodes batesi Sharp, 1877
- Incorrect subsequent spelling: Xuthodes batisi: Moeed & Meads, 1983: 45
Synonyms
- Xuthodes lepidus Broun, 1893
- Authority for synonymy: Blair, 1937: 262
References
- Blair, K.G. 1937: Synonymy of the Cerambycidae of New Zealand. Entomologists monthly magazine, 73: 261โ268. BUGZ
- Broun, T. 1893: Manual of the New Zealand Coleoptera. Parts V, VI, VII. New Zealand Institute, Wellington. BHL BUGZ Internet Archive
- Moeed, A.; Meads, M.J. 1983: Invertebrate fauna of four tree species in Orongorongo Valley, New Zealand, as revealed by trunk traps. New Zealand journal of ecology, 6: 39โ53.
- Sharp, D. 1877: Descriptions of a new genus and some new species of New Zealand Coleoptera. Entomologist's monthly magazine, 13: 190โ196. BHL BUGZ Internet Archive