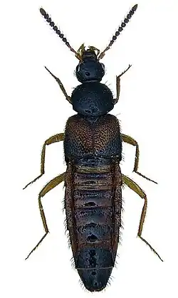
Zyras

Taxonavigation
| Taxonavigation: Staphylinoidea |
|---|
|
Superregnum: Eukaryota |
Familia: Staphylinidae
Subfamilia: Aleocharinae
Tribus: Lomechusini
Subtribus: Myrmedoniina
Genus:
Subgenera:
Acanthocnemidonia –
Acrothoraconia –
Androdonia –
Anophthalmodonia –
Antronia –
Aplastonia –
Apostenonia –
Apterygodonia –
Aulacodonia –
Botsa –
Callodonia –
Cameronodonia –
Camonia –
Cephalodonia –
Colpodonia –
Craspa –
Crateodonia –
Ctenodonia –
Dentothalmonia –
Diaulaconia –
Euryalonia –
Eurydonia –
Euryncephalodonia –
Euryndonia –
Fealina –
Glossacantha –
Grammodonia –
Isothoracodonia –
Lastia –
Leptodonia –
Macrodonia –
Neotropopella –
Pachydonia –
Paragrammodonia –
Parophthalmonia –
Platydonia –
Polydonia –
Pycnodonia –
Remionea –
Rhopalodonia –
Rocnema –
Sinozyras –
Subversoris –
Synthoracodonia –
Taprodonia –
Termidonia –
Termitelia –
Trigonodonia –
Trigonozyras –
Tropidonia –
Visendor
Subgenera excluded from Zyras:
Pella –
Hylozyras –
Rhynchodonia
Zyras (s. str.) species:
Z. abacus –
Z. alternans –
Z. ambulans –
Z. athetoides –
Z. atronitens –
Z. bangmaicus –
Z. basicollis –
Z. basilewskyi –
Z. beijingensis –
Z. bettotanus –
Z. bicoloricollis –
Z. birmanus –
Z. biroi –
Z. bisinuatus –
Z. bituberosus –
Z. bonus –
Z. bramtonus –
Z. brevilobatus –
Z. brignolii –
Z. bryanti –
Z. caloderoides –
Z. castaneus –
Z. championi –
Z. collaris –
Z. conlectus –
Z. condignus –
Z. conjectus –
Z. cultus –
Z. cyaniceps –
Z. cylindricornis –
Z. dabanicus –
Z. densihirtus –
Z. densissimus –
Z. discolor –
Z. distinctus –
Z. elegantulus –
Z. exasperatus –
Z. exspoliatus –
Z. extensus –
Z. facundus –
Z. fansipanicus –
Z. firmicornis –
Z. flavipennis –
Z. flavorufus –
Z. flexus –
Z. formosanus –
Z. fugax –
Z. fulgidus –
Z. funestus –
Z. gardneri –
Z. geminus –
Z. gilvipalpis –
Z. glabricollis –
Z. granapicalis –
Z. granulipennis –
Z. gratellus –
Z. hastatus –
Z. hauserianus –
Z. haworthi –
Z. hebes –
Z. hetzeli –
Z. hirsutiventris –
Z. hirsutus –
Z. hirtiventris –
Z. hirtus –
Z. hlavaci –
Z. illecebrosus –
Z. inexcisus –
Z. iniquus –
Z. interruptus –
Z. iridescens –
Z. janetlarae –
Z. kambaitiensis –
Z. kinabaluensis –
Z. kraatzi –
Z. latibasalis –
Z. latilobatus –
Z. lativentris –
Z. longapicalis –
Z. longilobatus –
Z. lunatus –
Z. luteipes –
Z. maculicollis –
Z. maculipennis –
Z. maindai –
Z. malaisei –
Z. matangensis –
Z. montanus –
Z. morulus –
Z. morvani –
Z. mutarensis –
Z. nakuruensis –
Z. nigerrimus –
Z. nigrapicalis –
Z. nigricornis –
Z. nigrihirtus –
Z. nigrita –
Z. nigroaeneus –
Z. nigronitens –
Z. nigrorufus –
Z. nilgiriensis –
Z. nitens –
Z. notaticornis –
Z. novinversus –
Z. obliquus –
Z. optatus –
Z. paecesanus –
Z. pallipes –
Z. pallipyga –
Z. papuanus –
Z. papuaseverus –
Z. papuavariolosus –
Z. parageminus –
Z. parahirtus –
Z. particornis –
Z. parvicollis –
Z. parvihirtus –
Z. parvilobatus –
Z. perforatus –
Z. pictus –
Z. pindarae –
Z. planctos –
Z. planifer –
Z. porrectus –
Z. preangeranus –
Z. proximus –
Z. pulcher –
Z. punctipennis –
Z. punctus –
Z. quasar –
Z. rasilis –
Z. rectus –
Z. reductus –
Z. rudis –
Z. rufapicalis –
Z. rufoterminalis –
Z. russiceps –
Z. rutrilobatus –
Z. sattelmontis –
Z. schuelkei –
Z. semicalvus –
Z. seminigerrimus –
Z. setosivestis –
Z. shaanxiensis –
Z. shavrini –
Z. sibiricus –
Z. song –
Z. songanus –
Z. subobsoletus –
Z. tambachensis –
Z. tenebricosus –
Z. tenuicornis –
Z. thaiorum –
Z. titan –
Z. truncatus –
Z. tumidicornis –
Z. volans –
Z. wei –
Z. wunderlei –
Z. yongshengensis
Species not assigned to subgenus:
Z. achilles –
Z. aenictophila –
Z. alboniger –
Z. alluaudi –
Z. alpicola –
Z. alternatus –
Z. angkoricola –
Z. angusticollis –
Z. antennatus –
Z. anthracinus –
Z. apicalis –
Z. apicipennis –
Z. argentinus –
Z. arunensis –
Z. asper –
Z. ater –
Z. basalis –
Z. bispinosus –
Z. boettcheri –
Z. boops –
Z. borneensis –
Z. breviceps –
Z. brevicollis –
Z. bruchianus –
Z. bustuarius –
Z. camurus –
Z. carbonarius –
Z. clavatus –
Z. coloratus –
Z. condei –
Z. coriaceus –
Z. crinosus –
Z. cuneatus –
Z. daguerrei –
Z. decepiens –
Z. decoratus –
Z. dezempilosus –
Z. dichthadiaphila –
Z. difficilis –
Z. dilutus –
Z. docilis –
Z. drakei –
Z. drusilloides –
Z. dudu –
Z. ecitonis –
Z. eichelbaumi –
Z. eurythorax –
Z. extraneus –
Z. fallax –
Z. ferrugineus –
Z. filicornis –
Z. flavicornis –
Z. formosae –
Z. fragilis –
Z. funebris –
Z. fustigans –
Z. geminatus –
Z. gibbus –
Z. gnarus –
Z. granulatus –
Z. hirtellus –
Z. homalotoides –
Z. inscitus –
Z. insignicornis –
Z. intervulsus –
Z. jacobsoni –
Z. javanus –
Z. koppi –
Z. labidus –
Z. laevior –
Z. laxicornis –
Z. legionis –
Z. lobopeltinus –
Z. longipennis –
Z. longipes –
Z. mimulus –
Z. minimus –
Z. mundus –
Z. nairobiensis –
Z. nanus –
Z. nitidulus –
Z. nyctelius –
Z. obex –
Z. paradoxus –
Z. parilis –
Z. pauloanus –
Z. pauloensis –
Z. picticornis –
Z. plasoni –
Z. plaumanni –
Z. plebeius –
Z. potor –
Z. pressitibialis –
Z. pulchricornis –
Z. punctatus –
Z. pusillus –
Z. rhadamanthus –
Z. rhopalomerus –
Z. roberti –
Z. rufescens –
Z. rugellus –
Z. rugulosus –
Z. sagax –
Z. sauteri –
Z. schmalzi –
Z. semiflavus –
Z. smithi –
Z. sparsipennis –
Z. spatha –
Z. spineus –
Z. spinipennis –
Z. spurcus –
Z. strigosipennis –
Z. sublaevis –
Z. submetallicus –
Z. sudus –
Z. syriacus –
Z. temptus –
Z. teres –
Z. trapeziceps –
Z. trisulcatus –
Z. turbidus –
Z. validicornis –
Z. vastus –
Z. ventralis –
Z. vesanus –
Z. wasmanni –
Z. waterhousei –
Z. zopyrus
Species overview:
Z. abacus –
Z. abbreviatus –
Z. abdominalis –
Z. abessinus –
Z. absurdus –
Z. achilles –
Z. aculeatus –
Z. acuticollis –
Z. aenictophila –
Z. aequatoriensis –
Z. aethiopicides –
Z. aethiopicus –
Z. afer –
Z. affinis –
Z. agilis –
Z. agricola –
Z. albanicus –
Z. alboniger –
Z. alluaudi –
Z. alpicola –
Z. alternans –
Z. alternatus –
Z. altus –
Z. ambiguus –
Z. ambulans –
Z. angkoricola –
Z. angusticollis –
Z. angustus –
Z. antennatus –
Z. anthracinus –
Z. antilope –
Z. apicalis –
Z. apicipennis –
Z. apterus –
Z. arcuatissimus –
Z. argentinus –
Z. argutus –
Z. aridus –
Z. armatus –
Z. armifrons –
Z. arrowi –
Z. artatus –
Z. artemis –
Z. arunensis –
Z. asciaferus –
Z. asper –
Z. assegaaibosensis –
Z. ater –
Z. athetoides –
Z. atricapillus –
Z. atricillis –
Z. atripennis –
Z. atronitens –
Z. azadensis –
Z. baihuamontis –
Z. bajauanus –
Z. balans –
Z. balantis –
Z. bandinellii –
Z. bangae –
Z. bangmaicus –
Z. basalis –
Z. basicollis –
Z. basilewskyi –
Z. batekensis –
Z. bayeri –
Z. beckeri –
Z. beijingensis –
Z. benignus –
Z. bequaerti –
Z. berekuensis –
Z. bernhaueri –
Z. bettotanus –
Z. bicallosus –
Z. bicarinulatus –
Z. bicochleatus –
Z. bicolor –
Z. bicoloratus –
Z. bicoloriceps –
Z. bicoloricollis –
Z. bidens –
Z. bidentatus –
Z. bidenticulatus –
Z. bifossulatus –
Z. bifoveolatus –
Z. bihastatus –
Z. bilineatus –
Z. bilobifer –
Z. biprensilis –
Z. bipunctatus –
Z. birmanus –
Z. biroi –
Z. biseriatus –
Z. bisinuatus –
Z. bispinosus –
Z. bissorensis –
Z. bituberosus –
Z. boettcheri –
Z. bomansi –
Z. bonus –
Z. boops –
Z. boormani –
Z. borneensis –
Z. borneorum –
Z. botswanensis –
Z. bovinus –
Z. brachythorax –
Z. bramtonus –
Z. brasiliensis –
Z. braunsi –
Z. breviceps –
Z. brevicollis –
Z. brevilobatus –
Z. brignolii –
Z. brincki –
Z. bruchianus –
Z. bryanti –
Z. bugalensis –
Z. bundukiensis –
Z. burgeoni –
Z. burkinensis –
Z. burtti –
Z. burundanus –
Z. bustuarius –
Z. callosus –
Z. caloderoides –
Z. calundoensis –
Z. cambocompressicornis –
Z. camurus –
Z. capella –
Z. capensis –
Z. capicola –
Z. caprivensis –
Z. carbonarius –
Z. carinilabiatus –
Z. carinipennis –
Z. carnifex –
Z. carpenteri –
Z. carvalhoi –
Z. castaneus –
Z. celisi –
Z. cephalicus –
Z. ceylonicus –
Z. chadensis –
Z. championi –
Z. charianus –
Z. chloroticus –
Z. civilis –
Z. clarus –
Z. clavatus –
Z. clavicornis –
Z. clavispinosus –
Z. clavus –
Z. clementis –
Z. clericus –
Z. clientis –
Z. codex –
Z. collaris –
Z. coloratus –
Z. compransor –
Z. compressicornis –
Z. compressus –
Z. concisus –
Z. condei –
Z. condignus –
Z. confusorius –
Z. congoensis –
Z. conjectus –
Z. conlectus –
Z. conradti –
Z. convulsus –
Z. cordicollis –
Z. coriaceus –
Z. corniger –
Z. cornutus –
Z. coronus –
Z. corpulentus –
Z. crassus –
Z. crinosus –
Z. cuiloensis –
Z. cultus –
Z. cuneatus –
Z. curtithorax –
Z. cyaniceps –
Z. cylindricornis –
Z. cylindricus –
Z. dabanicus –
Z. daguerrei –
Z. daressalamensis –
Z. decepiens –
Z. deceptivus –
Z. deceptor –
Z. decoratus –
Z. deductor –
Z. densicollis –
Z. densihirtus –
Z. densior –
Z. densissimus –
Z. densithorax –
Z. dentatus –
Z. dentispinosus –
Z. dentiventris –
Z. depressicollis –
Z. derisus –
Z. descarpentriesi –
Z. destitutus –
Z. dezempilosus –
Z. diaoluomontis –
Z. dichthadiaphila –
Z. differens –
Z. difficilis –
Z. digorum –
Z. dilatus –
Z. dilucidus –
Z. diluticornis –
Z. dilutus –
Z. discedens –
Z. discolor –
Z. dispar –
Z. disputandus –
Z. dissimilis –
Z. dissonus –
Z. distinctus –
Z. distinguendus –
Z. diversicollis –
Z. diversicornis –
Z. diversiventris –
Z. docilis –
Z. dogmatis –
Z. dominus –
Z. donisthorpei –
Z. dorylinus –
Z. drakei –
Z. drusilloides –
Z. dubiosus –
Z. dubius –
Z. dudu –
Z. ealaensis –
Z. ebneri –
Z. eburneaeorae –
Z. ecitonis –
Z. eichelbaumi –
Z. electus –
Z. elegantulus –
Z. elgonensis –
Z. emasculatus –
Z. epilogus –
Z. errabundus –
Z. errans –
Z. erraticus –
Z. escherichi –
Z. eurythorax –
Z. exasperatus –
Z. excisus –
Z. exspectatus –
Z. exspoliatus –
Z. extensicornis –
Z. extensus –
Z. extraneus –
Z. fabulosoides –
Z. fabulosus –
Z. facundus –
Z. fallax –
Z. falsus –
Z. fansipanicus –
Z. farimensis –
Z. fasciatus –
Z. fauvelianus –
Z. feae –
Z. fellowesi –
Z. ferrugineus –
Z. filicornis –
Z. firmicornis –
Z. fiziensis –
Z. flavicornis –
Z. flavipennis –
Z. flavomaculatus –
Z. flavorufus –
Z. flexus –
Z. fluminis –
Z. formosae –
Z. formosanus –
Z. forticornis –
Z. fortis –
Z. fractus –
Z. fragilis –
Z. fraternus –
Z. fraudulentus –
Z. frontalis –
Z. fugax –
Z. fulbis –
Z. fulgidus –
Z. fundatus –
Z. funebris –
Z. funestus –
Z. fustigans –
Z. gaerdesianus –
Z. gardneri –
Z. gedyeanus –
Z. gedyei –
Z. geminatus –
Z. geminus –
Z. germanus –
Z. gestroi –
Z. gestroianus –
Z. ghesquierei –
Z. gibbus –
Z. giganteus –
Z. gigas –
Z. gilvipalpis –
Z. girardi –
Z. glabellus –
Z. glaber –
Z. glaberrimus –
Z. glaberriventris –
Z. glabricollis –
Z. glabriventris –
Z. gnarus –
Z. gofensis –
Z. gombanus –
Z. granapicalis –
Z. grandiceps –
Z. granulatus –
Z. granulipennis –
Z. gratellus –
Z. gravidulus –
Z. gregoryi –
Z. grootaerti –
Z. guineensis –
Z. hagiangensis –
Z. hamifer –
Z. hargeisaensis –
Z. hargreavesi –
Z. harpurus –
Z. hartmannianus –
Z. hastatus –
Z. hauserianus –
Z. haworthi –
Z. hebes –
Z. heimi –
Z. heinrichi –
Z. hetzeli –
Z. hildebrandti –
Z. hirsutiventris –
Z. hirsutus –
Z. hirtellus –
Z. hirtiventris –
Z. hirtus –
Z. hlanensis –
Z. hlavaci –
Z. holosus –
Z. holtzi –
Z. homalotoides –
Z. hoplonotus –
Z. horridus –
Z. hospes –
Z. hostilis –
Z. hoyoensis –
Z. humerosus –
Z. hunti –
Z. ibanorum –
Z. icetus –
Z. illecebrosus –
Z. imperialis –
Z. implorans –
Z. impressipennis –
Z. impurus –
Z. inclytus –
Z. indonesiae –
Z. indorum –
Z. ineptus –
Z. inexcisus –
Z. inexploratus –
Z. infectus –
Z. infidus –
Z. infinitus –
Z. inflatitheca –
Z. infulatus –
Z. ingratus –
Z. iniquus –
Z. inquilinus –
Z. inscitus –
Z. insignicornis –
Z. insignis –
Z. insperatus –
Z. insularis –
Z. interruptus –
Z. interversus –
Z. intervulsus –
Z. inversus –
Z. invictus –
Z. irangicola –
Z. iridescens –
Z. ituriensis –
Z. jackson –
Z. jacobsoni –
Z. janetlarae –
Z. jansei –
Z. javanus –
Z. jeanneli –
Z. jessiensis –
Z. jokoensis –
Z. jordani –
Z. jubaensis –
Z. jugis –
Z. kabashanus –
Z. kafakumbanus –
Z. kakumeganus –
Z. kalahariensis –
Z. kambaitiensis –
Z. kasenyiensis –
Z. kaszabi –
Z. kavangensis –
Z. kenyanus –
Z. kigwenensis –
Z. kilifensis –
Z. kinabaluensis –
Z. kisumuensis –
Z. kivuensis –
Z. konaensis –
Z. koppi –
Z. kordofanensis –
Z. koroussensis –
Z. kraatzi –
Z. kristenseni –
Z. kumaonensis –
Z. kuzikusensis –
Z. labidus –
Z. lacunarumbeneolentium –
Z. lacustris –
Z. laevior –
Z. laidlawi –
Z. lamaburrensis –
Z. laminatus –
Z. lamottei –
Z. lamtoensis –
Z. langsonensis –
Z. languidis –
Z. laocaiensis –
Z. lasti –
Z. latibasalis –
Z. latilobatus –
Z. latior –
Z. lativentris –
Z. laxicornis –
Z. laxus –
Z. lecoqi –
Z. lectus –
Z. lefiniensis –
Z. legionis –
Z. leleupi –
Z. leoninus –
Z. leptocerus –
Z. lgockii –
Z. librevillensis –
Z. linki –
Z. linnavuorii –
Z. lioglutoides –
Z. lobopeltinus –
Z. longapicalis –
Z. longefurcatus –
Z. longicornis –
Z. longilobatus –
Z. longipennis –
Z. longipes –
Z. longwangmontis –
Z. luberoanus –
Z. lucernus –
Z. lucifer –
Z. luculentus –
Z. luimbalensis –
Z. lunatus –
Z. luorum –
Z. lusoensis –
Z. luteipes –
Z. macrothorax –
Z. maculicollis –
Z. maculipennis –
Z. madabongarum –
Z. magniceps –
Z. magnificus –
Z. magnus –
Z. mahagianus –
Z. mahnerti –
Z. maindai –
Z. malabarensis –
Z. malaisei –
Z. malawensis –
Z. malaybipunctatus –
Z. malaycompressicornis –
Z. malaysianus –
Z. malindicus –
Z. manowensis –
Z. manyarensis –
Z. manyemae –
Z. marginata –
Z. marginicollis –
Z. marshalli –
Z. marukana –
Z. masai –
Z. masculinus –
Z. matangensis –
Z. matengoensis –
Z. matunuensis –
Z. mayumbeanus –
Z. medicus –
Z. meneghetti –
Z. meridioafricanus –
Z. methnerianus –
Z. microarmatus –
Z. microdon –
Z. microphthalmus –
Z. mimulus –
Z. mimus –
Z. minangkabauorum –
Z. minimus –
Z. mirabilis –
Z. miricauda –
Z. misellus –
Z. mlilwanensis –
Z. moderatus –
Z. modestus –
Z. mombassana –
Z. monstrosiventris –
Z. montanus –
Z. montisfratris –
Z. montistabulae –
Z. morogorensis –
Z. morulus –
Z. morvani –
Z. mufundicola –
Z. mundus –
Z. mutarensis –
Z. mutatus –
Z. myomboanus –
Z. mysorensis –
Z. nabanensis –
Z. nairobiensis –
Z. nakuruensis –
Z. namibiensis –
Z. nanus –
Z. narokensis –
Z. natalensis –
Z. nebulosus –
Z. nectarinicola –
Z. nepalensis –
Z. ngaoensis –
Z. nietneri –
Z. nigerrimus –
Z. nigrapicalis –
Z. nigriceps –
Z. nigricornis –
Z. nigrihirtus –
Z. nigripennis –
Z. nigrita –
Z. nigroaeneus –
Z. nigronitens –
Z. nigrorufus –
Z. nigrosericeus –
Z. nilgiriensis –
Z. nitens –
Z. nitescens –
Z. nitidepunctatus –
Z. nitidipennis –
Z. nitidulus –
Z. nocturnus –
Z. notandus –
Z. notaticornis –
Z. notatus –
Z. novinversus –
Z. nyctelius –
Z. obanensis –
Z. obex –
Z. obliquus –
Z. obscurus –
Z. ocellus –
Z. ohausi –
Z. oioensis –
Z. okahandjae –
Z. opacus –
Z. optatus –
Z. opticus –
Z. optivus –
Z. orbicollis –
Z. orientalis –
Z. orstomensis –
Z. overlaeti –
Z. paecesanus –
Z. pakisthospes –
Z. palliolatus –
Z. pallipes –
Z. pallipyga –
Z. panganianus –
Z. papuanus –
Z. papuaseverus –
Z. papuavariolosus –
Z. paracompressicornis –
Z. paradoxus –
Z. parageminus –
Z. parahirtus –
Z. paraopticus –
Z. parcus –
Z. pardii –
Z. parilis –
Z. particornis –
Z. parvicollis –
Z. parvicornis –
Z. parvihirtus –
Z. parvilobatus –
Z. parvispinosus –
Z. pauliani –
Z. pauloanus –
Z. pauloensis –
Z. peculiaris –
Z. pelleyi –
Z. peraffinis –
Z. perakensis –
Z. peranomalus –
Z. perappositus –
Z. perarcuatus –
Z. perdecoratus –
Z. perdignus –
Z. perforatus –
Z. pergranulosus –
Z. peringueyi –
Z. persimilis –
Z. phaenomenalis –
Z. piciceps –
Z. picticornis –
Z. pictus –
Z. pindarae –
Z. planatus –
Z. planctos –
Z. planifer –
Z. plasoni –
Z. plaumanni –
Z. plebeius –
Z. plenus –
Z. pluvialis –
Z. pocsi –
Z. pokarzhevskii –
Z. politus –
Z. pondus –
Z. porrectus –
Z. poseidon –
Z. positus –
Z. postorus –
Z. postulatus –
Z. potor –
Z. praedabunda –
Z. praevalidus –
Z. preangeranus –
Z. pressitibialis –
Z. pristinus –
Z. probabilis –
Z. probatus –
Z. problematis –
Z. procerus –
Z. prodigus –
Z. prolixus –
Z. promontorii –
Z. prosopius –
Z. proximus –
Z. prudens –
Z. pseudoarmatus –
Z. pseudolus –
Z. pugnax –
Z. puguanus –
Z. pulcher –
Z. pulchricornis –
Z. punctatus –
Z. puncticollis –
Z. punctiger –
Z. punctipennis –
Z. punctiventris –
Z. punctus –
Z. pusillus –
Z. pygmaeus –
Z. quadridens –
Z. quadripunctatus –
Z. quadrituberculatus –
Z. quasar –
Z. quinquespinosus –
Z. rangirensis –
Z. rapax –
Z. raritus –
Z. rasilis –
Z. rectangulus –
Z. rectus –
Z. reductus –
Z. reelsi –
Z. refutatus –
Z. reichenspergeri –
Z. reicherti –
Z. relegatus –
Z. remotus –
Z. responsor –
Z. reticulatus –
Z. retusus –
Z. reversus –
Z. rhadamanthus –
Z. rhopalomerus –
Z. riftvallicola –
Z. roberti –
Z. robustus –
Z. roepkei –
Z. rotundicollis –
Z. rougemonti –
Z. royi –
Z. ruandae –
Z. rubricollis –
Z. rudebecki –
Z. rudis –
Z. rufapicalis –
Z. rufescens –
Z. ruficeps –
Z. rufithorax –
Z. rufoterminalis –
Z. rufus –
Z. rugellus –
Z. rugosissimus –
Z. rugulosus –
Z. ruindiensis –
Z. russatus –
Z. russiceps –
Z. rusticus –
Z. rutrilobatus –
Z. rutshuruensis –
Z. ruvubuensis –
Z. saegeri –
Z. sagax –
Z. saltus –
Z. samaruensis –
Z. sanctus –
Z. sarawakensis –
Z. satelles –
Z. sattelmontis –
Z. sauteri –
Z. schmalzi –
Z. schoutedeni –
Z. schoutedenianus –
Z. schuberti –
Z. schuelkei –
Z. schultzei –
Z. schwarzei –
Z. scorteccii –
Z. sculptilis –
Z. sculptiventris –
Z. seditiosus –
Z. semicalvus –
Z. semiflavus –
Z. semiglaber –
Z. seminiger –
Z. seminigerrimus –
Z. seminitens –
Z. semiopacus –
Z. semisericeus –
Z. separatus –
Z. septilis –
Z. sericatus –
Z. sericeicollis –
Z. serotinus –
Z. serranoi –
Z. serraticornis –
Z. serruliger –
Z. setosivestis –
Z. sexcuspidatus –
Z. seydeli –
Z. sforziae –
Z. shaanxiensis –
Z. shavrini –
Z. siamensis –
Z. sibiricus –
Z. significans –
Z. silus –
Z. silvestrianus –
Z. silvestrii –
Z. silvestris –
Z. simplex –
Z. simulans –
Z. siwalikensis –
Z. skukuzaensis –
Z. smithi –
Z. sobrinus –
Z. solutilis –
Z. somalianus –
Z. somaliensis –
Z. song –
Z. songanus –
Z. songeanus –
Z. sordidus –
Z. soror –
Z. sparsipennis –
Z. sparsus –
Z. spatha –
Z. speciosus –
Z. spheginus –
Z. spineus –
Z. spiniger –
Z. spinipennis –
Z. spinosidens –
Z. spinosus –
Z. spissatheca –
Z. spurcus –
Z. steeli –
Z. stevensi –
Z. strigosipennis –
Z. subcivilis –
Z. subcompressicornis –
Z. subdensipennis –
Z. subglaber –
Z. subglabripennis –
Z. sublaevis –
Z. sublilior –
Z. submetallicus –
Z. subobscurus –
Z. subobsoletus –
Z. subopacus –
Z. subrufus –
Z. subsulcatus –
Z. sudanensis –
Z. sudus –
Z. suffuscus –
Z. sulcatus –
Z. sulcicollis –
Z. sulcithorax –
Z. superbus –
Z. syriacus –
Z. taeniatus –
Z. taitaorum –
Z. tamalensis –
Z. tambachensis –
Z. temptus –
Z. tenebricosus –
Z. tenuicornis –
Z. tenuis –
Z. teocchii –
Z. teres –
Z. terminatus –
Z. termitarius –
Z. termiticola –
Z. termitophilus –
Z. termitovagans –
Z. thailandensis –
Z. thaiorum –
Z. titan –
Z. tolminus –
Z. torosus –
Z. torpidus –
Z. transvaalensis –
Z. transversicollis –
Z. trapeziceps –
Z. trapezicollis –
Z. triaculeatus –
Z. triangularis –
Z. triangulum –
Z. tributus –
Z. tridenticulatus –
Z. trinus –
Z. trispinosus –
Z. trisulcatus –
Z. triumbonatus –
Z. truncatus –
Z. tsavicola –
Z. tshipisensis –
Z. tuberculatus –
Z. tubericollis –
Z. tuberipennis –
Z. tumidicornis –
Z. turbator –
Z. turbidus –
Z. turensis –
Z. turnerianus –
Z. uelensis –
Z. uheheanus –
Z. uhligi –
Z. ujuiensis –
Z. uluguruensis –
Z. uncifer –
Z. uncinatus –
Z. unicornis –
Z. usambarae –
Z. ussuriensis –
Z. validicornis –
Z. vandepolli –
Z. vanderijsti –
Z. vanellus –
Z. vastus –
Z. ventosus –
Z. ventralis –
Z. vesanus –
Z. vescus –
Z. victoriaenyanzae –
Z. vietnamicus –
Z. vilhenai –
Z. viti –
Z. vividus –
Z. volans –
Z. vosseleri –
Z. waageni –
Z. wasmanni –
Z. wasmannianus –
Z. waterhousei –
Z. wei –
Z. willersi –
Z. wittei –
Z. wunderlei –
Z. xanthopygus –
Z. yangambiensis –
Z. yangi –
Z. yeboensis –
Z. yongshengensis –
Z. zavattarii –
Z. zernyi –
Z. zopyrus
Invalid species names:
Z. adesi –
Z. aethiopicus –
Z. alboantennatus –
Z. alboterminalis –
Z. antennarius –
Z. argus –
Z. articollis –
Z. atrapicalis –
Z. bartolozzii –
Z. beijingorum –
Z. benenensis –
Z. bidens –
Z. brincki –
Z. britannorum –
Z. burundanus –
Z. chinkiangensis –
Z. chumphonensis –
Z. daiaccorum –
Z. dibrugarhensis –
Z. drescheri –
Z. drugmandi –
Z. ferrugineiventris –
Z. fortispina –
Z. forus –
Z. fratrumkadooriorum –
Z. gilvicollis –
Z. granulatus –
Z. hispanicus –
Z. hongkongensis –
Z. indicus –
Z. kadoorianus –
Z. kigwenensis –
Z. kivuensis –
Z. languidis –
Z. lasti –
Z. louwerensi –
Z. manjushri –
Z. micropterus –
Z. modiglianii –
Z. mortuorum –
Z. nameriensis –
Z. narokensis –
Z. neoparageminus –
Z. optimus –
Z. paederinus –
Z. pardii –
Z. perreti –
Z. pervariolosus –
Z. postulatus –
Z. pseudobirmanus –
Z. qingchengensis –
Z. quadriterminalis –
Z. reptans –
Z. restitutus –
Z. ruficauda –
Z. rusticus –
Z. semiasperatus –
Z. setosipennis –
Z. shiva –
Z. sichuanorum –
Z. subgeminus –
Z. subrufus –
Z. tenuis –
Z. thainiger –
Z. tumorfrontalis –
Z. unicolor –
Z. variolatus –
Z. vietnamicola
Name
Zyras Stephens, 1835: 430
- Type species: Aleochara haworthi Stephens, 1832. established by decision of the International Commission on Zoological Nomenclature (ICZN, 1961, Opinion 599).
Synonyms
- Myrmedonia Sharp, 1883: 198
References
Primary references
- Stephens, J.F., 1835: Illustrations of British entomology; or, a synopsis of indigenous insects; containing their generic and specific distinctions; with an account of their metamorphoses, times of appearance, localities, food, and economy, as far as practicable. 5: 369–448. London: Baldwin and Cradock. BHL [original description: p. 430]
Additional references
- Assing, V. 2017. On Zyras sensu strictu in the East Palaearctic and Oriental regions, with a focus on the faunas of the Himalaya, India, Stri Lanka, Thailand, and Sulawesi (Coleoptera: Staphylinidae: Aleocharinae: Lomechusini). Beiträge zur Entomologie 67(1): 117–192. DOI: 10.21248/contrib.entomol.67.1.117-192 Reference page. [Key to the species of the subgenus Zyras of the Himalaya, India, and Sri Lanka: p. 120]
- Assing, V. 2017. On Zyras sensu strictu in the East Palaearctic and Oriental regions III, with a focus on the Southeast of Continental Asia and the Sunda Islands (Coleoptera: Staphylinidae: Aleocharinae: Lomechusini). Beiträge zur Entomologie 67(2): 213–246. DOI: 10.21248/contrib.entomol.67.2.213-246 Reference page. [Key to the species of the subgenus Zyras of the Oriental Region (sensu Schülke & Smetana 2015), exclusive of India, Sri Lanka, and Myanmar: p. 215; Revised and updated catalogue of the species of Zyras sensu strictu of the Palaearctic and Oriental regions: p. 241]
- Hlaváč, P.; Jászay, T. 2009: A revision of the genus Zyras (Zyras) Stephens, 1835 (Coleoptera, Staphylinidae, Aleocharinae). I. Current classification status and the redefinition of the genus. ZooKeys, 29: 49–71. DOI: 10.3897/zookeys.29.218.
- Pace, R. 2009. Aleocharinae dell'Irian Jaya (Nuova Guinea) al Naturkundemuseum di Erfurt (Insecta: Coleoptera: Staphylinidae). (230° Contributo alla conoscenza delle Aleocharinae). [Aleocharinae from Irian Jaya (New Guinea) in the Naturkundemuseum Erfurt (Insecta: Coleoptera: Staphylinidae).] Veröffentlichungen des Naturkundemuseums Erfurt - VERNATE 28: 259–329. Reference page. [key to the species of the subgenus Zyras of New Guinea: p. 292]
- Pace, R., 2012: Biodiversità delle Aleocharinae della Cina: Lomechusini e Thamiaraeini (Coleoptera, Staphylinidae). Beiträge zur Entomologie 62 (1): 77–102.
- Pace, R. 2013: New distributional data, new species and three new genera of Aleocharinae from Malaysia, Vietnam and Taiwan (Coleoptera: Staphylinidae). Tropical zoology, 26(1): 33–63. DOI: 10.1080/03946975.2013.775832 ZooBank
- Pace, R. 2013. New distribution data, new species and two new genera of Aleocharinae from Tropical Africa (Coleoptera, Staphylinidae). Beiträge zur Entomologie 63(1): 129–147. Abstract Reference page.
- Yan, Z-Q. & Li, L-Z. 2015. New species and additional records of the subgenus Termidonia Motschulsky of the genus Zyras Stephens in China (Coleoptera, Staphylinidae, Aleocharinae). Zootaxa 4028(1): 136–142. DOI: 10.11646/zootaxa.4028.1.7. Preview (PDF) Reference page.