Hurricane Orlene (2022)
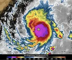
![]() Hurricane Orlene shortly after peak intensity on October 2 | |
Meteorological history | |
---|---|
Formed | September 28, 2022 |
Dissipated | October 3, 2022 |
Category 4 major hurricane | |
1-minute sustained (SSHWS/NWS) | |
Highest winds | 130 mph (215 km/h) |
Lowest pressure | 954 mbar (hPa); 28.17 inHg |
Overall effects | |
Fatalities | None reported |
Damage | >$600,000 (2022 USD) |
Areas affected | Northwestern Mexico |
IBTrACS / [1] | |
Part of the 2022 Pacific hurricane season |
Hurricane Orlene was a powerful tropical cyclone that caused minor damage to the Pacific coast of Mexico in October 2022. The cyclone was the sixteenth named storm, ninth hurricane, and third major hurricane of the 2022 Pacific hurricane season. Orlene originated from a low-pressure area off the coast of Mexico. Moving towards the north, Orlene gradually strengthened, becoming a hurricane on October 1 and reaching its peak intensity the following day with winds of 130 mph (215 km/h). Orlene made landfall just north of the Nayarit and Sinaloa border, with winds of 85 mph (140 km/h). Soon afterward, Orlene rapidly weakened and became a tropical depression, eventually dissipating over the Sierra Madre Occidental late on October 4.
Orlene prompted the issuance of hurricane and tropical storm watches and warnings for Northwestern Mexico.[2] The storm's knocked out power to nearly 49,092 customers in two states.[3] Orlene caused minor damage to many schools.[4] Damage in San Blas exceeded MX$12 million (US$600,000), though the total damage in Mexico was unknown.[5]
Meteorological history

Tropical storm (39–73 mph, 63–118 km/h)
Category 1 (74–95 mph, 119–153 km/h)
Category 2 (96–110 mph, 154–177 km/h)
Category 3 (111–129 mph, 178–208 km/h)
Category 4 (130–156 mph, 209–251 km/h)
Category 5 (≥157 mph, ≥252 km/h)
Unknown

On September 25, the National Hurricane Center (NHC) noted the possible development of a low-pressure area located several miles offshore the south of the Southwestern Mexico coast which was conducive for further tropical cyclogenesis[6] The low produced a large area of disorganized showers and thunderstorms.[7] Satellite imagery showed that the associated shower activity was showing signs of organization.[8] By September 29, the NHC initiated advisories on Tropical Depression Sixteen-E.[9] Six hours later, the depression strengthened into a tropical storm, and was assigned the name Orlene.[10] Orlene become better organized, with a small central dense overcast forming.[11] There was a burst of deep convection and a gradual increase in satellite presentation.[12]
Microwave imagery revealed a well-defined curved band wrapping into a developing inner core.[13] Orlene strengthened into a hurricane at 15:00 UTC on October 1, with central convection becoming more symmetric.[14] An Air Force Reserve reconnaissance aircraft recorded 700 mb flight-level winds of 80 mph (130 km/h) around the northeastern eyewall.[15] Later that day, Orlene intensified, reaching Category 2 hurricane.[16] Strengthening continued as Orlene estimated a well-defined eye with a diameter of 10–15 nmi (19–28 km), and at 06:00 UTC the next day, Orlene became a Category 3 hurricane.[17][18] Six hours later, Orlene peaked as a Category 4 major hurricane with maximum sustained winds of 130 mph (215 km/h) and a minimum central pressure of 949 mbar (28.02 inHg).[19][20] Southwestern wind shear began to increase, as the eye had become cloud-filled as a result, the hurricane weakened to Category 3 strength.[21]
The center of the storm, embedded within an area of cloud top temperatures below 70–80 °C (158–176 °F).[22] Orlene weakened to Category 2 strength at 03:00 UTC on October 3.[23] Orlene's cloud pattern became less organized, due to the influence of strong southwesterly shear associated with an upper-level trough near Baja California.[24] Orlene made landfall just north of the Nayarit and Sinaloa border's, weakening to a Category 1 strength by 13:45 UTC.[25] By 18:00 UTC, the storms moved inland and weakened, into a tropical storm.[26] Orlene rapidly weakened, becoming a tropical depression at 21:00 UTC that same day.[27] The system later dissipated over Sierra Madre Occidental late on October 4.[28]
Preparations and impact

The Government of Mexico issued a hurricane warning on September 30 for Islas Marías, with tropical storm watches and warnings posted on the coast of San Blas and Manzanillo.[2] In the state of Sinaloa, emergency shelters were opened.[29] The ports of Manzanillo and Puerto Vallarta were closed.[29] According to the Secretary of Tourism of Mazatlan, Rosario Torres Noriega, flights at the airport were suspended due to the approaching storm.[30] Classes were also suspended in Jalisco.[31] Ten municipalities in Jalisco were placed under a "orange" alert.[32] Red alerts were issued for Sinaloa, and Nayarit.[32] More than 300 operational officers and different dependencies were deployed.[33] The State Civil Protection (UEPC) of the Government of Colima were advised to take necessary precautions.[34]
Orlene brought heavy rains that caused landslide in Durango-Mazatlán Superhighway.[35] Orlene produced large swells, affecting areas from the west coast of Mexico.[36] In the municipality of Escuinapa, heavy winds brought down an electricity tower, causing the area to be left without power. Fallen poles and downed trees were reported throughout El Rosario.[37] Border crossings from the state of Sinaloa into the state of Nayarit were minimalized after Orlene made landfall.[38] Orlene affected families approximately 700 people.[39] 242 schools were impacted, receiving minor damage.[4] In Puerto Vallarta, the hurricane caused widespread flooding in the communities.[40] So far, no victims or significant damage have been reported, according to Nayarit's Secretary of Security, Jorge Rodríguez.[30]
Heavy rains were reported across the Acaponeta.[41] Plan DN-III-E, a disaster relief and rescue plan, was activated in Sinaloa after the passage of Orlene.[42] 80 houses were affected in La Huerta.[43] The Federal Electricity Commission (CFE) were deployed its crews to repair the damage caused by the strong winds.[44] The CFE reported 49,092 customers lost electricity across Sinaloa and Nayarit, due to Orlene.[3] Overall, Orlene left at least MX$12 million (US$600,000) of damage in San Blas.[5]
See also

- Weather of 2022
- Tropical cyclones in 2022
- List of Category 4 Pacific hurricanes
- Other storms of the same name
- Hurricane Patricia — Hit the same areas 7 years before
- Tropical Storm Sonia (2013) — Hit the same areas
- Hurricane Roslyn (2022) — Category 4 hurricane that hit the same areas two weeks later
References
- ^ Landsea, Christopher (March 9, 2023). Tropical Cyclones Report: Hurricane Orlene (PDF) (Report). Miami, Florida: National Hurricane Center. Retrieved April 14, 2023.
- ^ a b Papin, Philippe (September 30, 2022). Tropical Storm Orlene Forecast/Advisory Number 8 (Report). Miami, Florida: National Hurricane Center. Retrieved September 30, 2022.
- ^ a b "Orlene dejó sin electricidad a 49 mil usuarios en Sinaloa y Nayarit" [Orlene left 49 thousand users without electricity in Sinaloa and Nayarit]. Quadratín Guerrero (in Mexican Spanish). October 3, 2022. Archived from the original on October 27, 2022. Retrieved October 24, 2022.
- ^ a b "Apoyarán a familias afectadas por el huracán Orlene y por sismos percibidos en Jalisco" [They will support families affected by Hurricane Orlene and by earthquakes perceived in Jalisco]. El Heraldo de México (in Spanish). Archived from the original on October 27, 2022. Retrieved October 23, 2022.
- ^ a b "Reporta el municipio de San Blas daños por 12 millones de pesos" [The municipality of San Blas reports damages for 12 million pesos]. Meridiano.mx (in Spanish). October 13, 2022. Archived from the original on October 27, 2022. Retrieved October 13, 2022.
- ^ Zelinsky, David (September 25, 2022). Five Day Graphical Tropical Weather Outlook (Report). Miami, Florida: National Hurricane Center. Retrieved September 25, 2022.
- ^ Papin, Philippe (September 27, 2022). Two Day Graphical Tropical Weather Outlook (Report). Miami, Florida: National Hurricane Center. Retrieved September 27, 2022.
- ^ Beven, Jack (September 28, 2022). Two Day Graphical Tropical Weather Outlook (Report). Miami, Florida: National Hurricane Center. Retrieved September 28, 2022.
- ^ Zelinsky, David (September 28, 2022). Tropical Depression Sixteen-E Advisory Number 1 (Report). Miami, Florida: National Hurricane Center. Retrieved September 28, 2022.
- ^ Latto, Andrew (September 29, 2022). Tropical Storm Orlene Advisory Number 2 (Report). Miami, Florida: National Hurricane Center. Retrieved September 29, 2022.
- ^ Beven, Jack (September 29, 2022). Tropical Storm Orlene Discussion Number 3 (Report). Miami, Florida: National Hurricane Center. Retrieved September 29, 2022.
- ^ Bucci, Lisa (September 29, 2022). Tropical Storm Orlene Discussion Number 5 (Report). Miami, Florida: National Hurricane Center. Retrieved September 29, 2022.
- ^ Latto, Andy (September 30, 2022). Tropical Storm Orlene Discussion Number 6 (Report). Miami, Florida: National Hurricane Center. Retrieved September 30, 2022.
- ^ Beven, Jack (October 1, 2022). Hurricane Orlene Discussion Number 11 (Report). Miami, Florida: National Hurricane Center. Retrieved October 1, 2022.
- ^ Beven, Jack (October 1, 2022). Hurricane Orlene Discussion Number 12 (Report). Miami, Florida: National Hurricane Center. Retrieved October 1, 2022.
- ^ Reinhart, Brad (October 1, 2022). Hurricane Orlene Tropical Cyclone Update (Report). Miami, Florida: National Hurricane Center. Retrieved October 1, 2022.
- ^ Reinhart, Brad (October 1, 2022). Hurricane Orlene Discussion Number 14 (Report). Miami, Florida: National Hurricane Center. Retrieved October 1, 2022.
- ^ Pasch, Richard (October 2, 2022). Hurricane Orlene Intermediate Advisory Number 14A (Report). Miami, Florida: National Hurricane Center. Retrieved October 2, 2022.
- ^ Richard, Pasch (October 2, 2022). Hurricane Orlene Advisory Number 15 (Report). Miami, Florida: National Hurricane Center. Retrieved October 2, 2022.
- ^ Brown, Daniel (October 2, 2022). Hurricane Orlene Intermediate Advisory Number 15A (Report). Miami, Florida: National Hurricane Center. Retrieved October 2, 2022.
- ^ Brown, Daniel (October 2, 2022). Hurricane Orlene Discussion Number 16 (Report). Miami, Florida: National Hurricane Center. Retrieved October 2, 2022.
- ^ Brown, Daniel (October 2, 2022). Hurricane Orlene Discussion Number 17 (Report). Miami, Florida: National Hurricane Center. Retrieved October 2, 2022.
- ^ Philippe, Papin; Blake, Eric (October 2, 2022). Hurricane Orlene Advisory Number 18 (Report). Miami, Florida: National Hurricane Center. Retrieved October 2, 2022.
- ^ Pasch, Richard (October 3, 2022). Hurricane Orlene Discussion Number 19 (Report). Miami, Florida: National Hurricane Center. Retrieved October 3, 2022.
- ^ Brown, Daniel (October 3, 2022). Hurricane Orlene Tropical Cyclone Update (Report). Miami, Florida: National Hurricane Center. Retrieved October 3, 2022.
- ^ Brown, Daniel (October 3, 2022). Tropical Storm Orlene Intermediate Advisory Number 20A (Report). Miami, Florida: National Hurricane Center. Retrieved October 3, 2022.
- ^ Brown, Daniel (October 3, 2022). Tropical Depression Orlene Discussion Number 21 (Report). Miami, Florida: National Hurricane Center. Retrieved October 3, 2022.
- ^ Blake, Eric (October 3, 2022). Remnants of Orlene Discussion Number 22 (Report). Miami, Florida: National Hurricane Center. Retrieved October 3, 2022.
- ^ a b Newsroom, M. D. P. (October 4, 2022). "Hurricane Orlene made landfall on Mexico's Pacific coast near Mazatlan - The Mazatan Post". Mexico Daily Post. Archived from the original on October 27, 2022. Retrieved October 22, 2022.
{{cite web}}
:|last=
has generic name (help) - ^ a b "Huracán Orlene, EN VIVO: Trayectoria, fotos, videos y últimas noticias de hoy" [Hurricane Orlene, LIVE: Trajectory, photos, videos and today's latest news]. MARCA (in Mexican Spanish). October 3, 2022. Archived from the original on October 27, 2022. Retrieved October 22, 2022.
- ^ Demos, Editorial; Corresponsales, De Los. "La Jornada - Se alistan cuatro entidades para hacer frente al huracán Orlene" [La Jornada - Four entities are getting ready to deal with Hurricane Orlene]. www.jornada.com.mx (in Spanish). Archived from the original on October 27, 2022. Retrieved October 22, 2022.
- ^ a b "Huracán Orlene EN VIVO: Trayectoria y noticias al momento" [Hurricane Orlene LIVE: Trajectory and news at the moment]. El Informador :: Noticias de Jalisco, México, Deportes & Entretenimiento (in Mexican Spanish). Archived from the original on October 27, 2022. Retrieved October 23, 2022.
- ^ "Huracán Orlene en Jalisco: Despliegan 300 elementos ante el paso del ciclón en el Estado (VIDEO)" [Hurricane Orlene in Jalisco: 300 elements are deployed before the passage of the cyclone in the State (VIDEO)]. El Informador :: Noticias de Jalisco, México, Deportes & Entretenimiento (in Mexican Spanish). Archived from the original on October 27, 2022. Retrieved October 23, 2022.
- ^ Noticias, Redacción Colima (October 2, 2022). "Seguirá lloviendo en Colima; 'Orlene' ya es huracán categoría 3" [It will continue to rain in Colima; Orlene is now a category 3 hurricane]. Colima Noticias (in Spanish). Archived from the original on October 27, 2022. Retrieved October 25, 2022.
- ^ Durango, Erika Uribe | El Sol de. "Lluvias provocan derrumbe en la Súper carretera Durango–Mazatlán" [Rains cause landslide on the Durango-Mazatlán Superhighway]. El Sol de Durango | Noticias Locales, Policiacas, sobre México, Durango y el Mundo (in Spanish). Archived from the original on October 27, 2022. Retrieved October 23, 2022.
- ^ Vallarta, Daily (September 30, 2022). "Orlene reached Category 4 hurricane off the coast of Jalisco". Puerto Vallarta News. Archived from the original on October 27, 2022. Retrieved October 23, 2022.
- ^ Times, The New York (October 12, 2022). "Orlene Dissipates, but Threat of Flash Flooding Remains in Western Mexico". The New York Times. ISSN 0362-4331. Archived from the original on October 27, 2022. Retrieved October 22, 2022.
- ^ Knutson, Jacob (October 3, 2022). "Orlene downgraded to tropical storm after slamming Mexico's Pacific coastline". Axios. Archived from the original on October 27, 2022. Retrieved October 22, 2022.
- ^ Ríodoce, Redacción (October 3, 2022). "Huracán 'Orlene' deja alrededor de 700 familias afectadas en El Rosario" [Hurricane 'Orlene' leaves around 700 families affected in El Rosario]. riodoce.mx (in Mexican Spanish). Archived from the original on October 27, 2022. Retrieved October 22, 2022.
- ^ Demos, Editorial; corresponsales, los. "La Jornada - Desbordamientos, deslaves y apagones en tres entidades" [Hurricane 'Orlene' leaves around 700 families affected in El Rosario]. www.jornada.com.mx (in Spanish). Archived from the original on October 27, 2022. Retrieved October 25, 2022.
- ^ Demos, Editorial; Redacción, Luis Martín Sánchez, corresponsal y la. "La Jornada - Huracán 'Orlene' toca tierra al sur de Sinaloa" [La Jornada - Hurricane 'Orlene' makes landfall south of Sinaloa]. www.jornada.com.mx (in Spanish). Archived from the original on October 27, 2022. Retrieved October 22, 2022.
{{cite web}}
: CS1 maint: multiple names: authors list (link) - ^ Noroeste/Redacción |. "Aplica Ejército Mexicano Plan DN-III-E en Sinaloa tras el paso del huracán Orlene" [Mexican Army applies Plan DN-III-E in Sinaloa after Hurricane Orlene]. www.noroeste.com.mx (in Mexican Spanish). Archived from the original on October 27, 2022. Retrieved October 23, 2022.
- ^ Occidental, Elizabeth Ibal | El. "El huracán "Orlene" afectó 80 viviendas en La Huerta; emitieron Declaratoria de Emergencia" [Hurricane "Orlene" affected 80 homes in La Huerta; issued a declaration of emergency]. El Occidental | Noticias Locales, Policiacas, sobre México, Guadalajara y el Mundo (in Spanish). Archived from the original on October 27, 2022. Retrieved October 23, 2022.
- ^ "Orlene toca tierra y se degrada a tormenta tropical" [Orlene makes landfall and downgrades to a tropical storm]. El Universal (in Spanish). October 4, 2022. Archived from the original on October 27, 2022. Retrieved October 23, 2022.
External links

- The National Hurricane Center's advisory archive on Hurricane Orlene